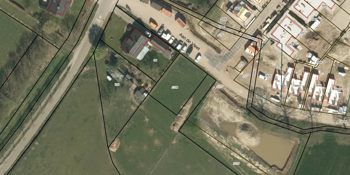
Perceel: SRY00-F-1134
KadastraleKaart.com kan meer dan je denktOntdek meer ›
Filter op bestemming 50+ datasets Eigendomsdata in één klik Percelen CRM
Geen adressen bij dit perceel
600 m2 - 99 m
Eigenaar opvragen
SRY00-F-1134 (Stramproy)
- Geen postcode aanwezig
3RmL8 G8zowFJiSsUpgrade naar KadastraleKaart Pro
Bekijk op Street View
Download DWG/DXF/Excel
9fnNoOiQUpgrade naar KadastraleKaart Pro
wVJ5DOgRWUpgrade naar KadastraleKaart Pro
7nNvrT kEqYJnTzwzUpgrade naar KadastraleKaart Pro
8zB0ZoFQA7MfAKhwUpgrade naar KadastraleKaart Pro
23e nwiFUpgrade naar KadastraleKaart Pro
z ZHtuVTOjoUUpgrade naar KadastraleKaart Pro
2W5b8MK P 2 3 FK5KfUpgrade naar KadastraleKaart Pro
2unuktjARteNmb xklUpgrade naar KadastraleKaart Pro
Tpg WN jRxK a1mp0 Upgrade naar KadastraleKaart Pro
7aJGyPqig kUpgrade naar KadastraleKaart Pro
06/08/2021

Percelen
Gebruik de zoekbalk of klik op een perceel om informatie over het perceel te bekijken.