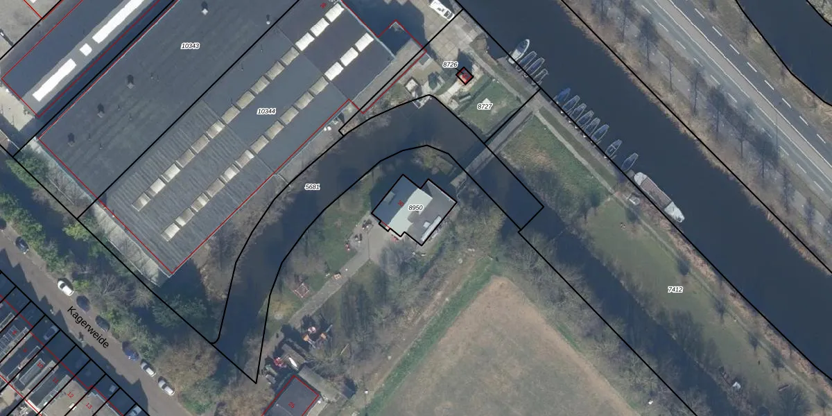
Perceel: SSH00-A-8950
KadastraleKaart.com kan meer dan je denktOntdek meer ›
Filter op bestemming 50+ datasets Eigendomsdata in één klik Percelen CRM
193 m2 - 60 m
Eigenaar opvragen
SSH00-A-8950 (Sassenheim)
- 2172 HT
EUg9SH244KlMYGf lAGyC F5Upgrade naar KadastraleKaart Pro
Bekijk op Street View
Download DWG/DXF/Excel
HIBSJGMFh7UMwu pGUpgrade naar KadastraleKaart Pro
jezPc10 jodVUpgrade naar KadastraleKaart Pro
2 SOzJVoxMg2hU iUpgrade naar KadastraleKaart Pro
X9Y4orhoIUSnzO3X8Ood6iUpgrade naar KadastraleKaart Pro
F99M4n NgTEzKd2 6Upgrade naar KadastraleKaart Pro
lrCazv wnADYvb8NlQbUpgrade naar KadastraleKaart Pro
xHzC5mTEUpgrade naar KadastraleKaart Pro
ygJVzGhkz0v Upgrade naar KadastraleKaart Pro
C5gyTS NhUEQbs9sCUpgrade naar KadastraleKaart Pro
zdDzQX ekHeBUWBXCoUpgrade naar KadastraleKaart Pro
30/10/2012

Percelen
Gebruik de zoekbalk of klik op een perceel om informatie over het perceel te bekijken.