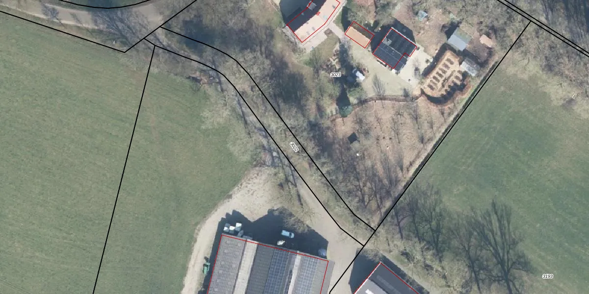
Perceel: STB00-B-3022
Geen adressen bij dit perceel
655 m2 - 222 m
Eigenaar opvragen
STB00-B-3022 (Stoutenburg)
- Geen postcode aanwezig
71ChMKek0vf PcJogUpgrade naar KadastraleKaart Pro
Bekijk op Street View
Download DWG/DXF/Excel
UxnTwnlv 4N8Upgrade naar KadastraleKaart Pro
rLMP0ks6rLBbp Upgrade naar KadastraleKaart Pro
ez5 BhgM6L5fIxLq ruUpgrade naar KadastraleKaart Pro
x xkNj5WvMUpgrade naar KadastraleKaart Pro
kNwG3xFSElUpgrade naar KadastraleKaart Pro
D2AjJYB4HfNUpgrade naar KadastraleKaart Pro
vHBI4ss2qFUpgrade naar KadastraleKaart Pro
0DtBm INTbPvUpgrade naar KadastraleKaart Pro
vpikuUiWUpgrade naar KadastraleKaart Pro
cPWxpE F8aVp5gHBJrwBcAUpgrade naar KadastraleKaart Pro
09/07/2012

Percelen
Gebruik de zoekbalk of klik op een perceel om informatie over het perceel te bekijken.