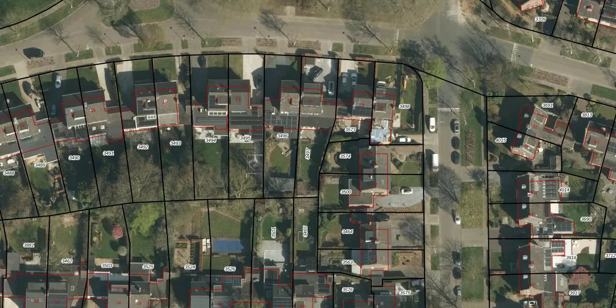
Perceel: STD00-C-3497
KadastraleKaart.com kan meer dan je denktOntdek meer ›
Filter op bestemming 50+ datasets Eigendomsdata in één klik Percelen CRM
453 m2 - 112 m
Eigenaar opvragen
STD00-C-3497 (Sittard)
- 6133 BE
5IQvZSf7WvrOHpzBUGXTz7zS9JxYUpgrade naar KadastraleKaart Pro
Verkoopprijs opvragen
Bekijk op Street View
Download DWG/DXF/Excel
P3sFKUDUpgrade naar KadastraleKaart Pro
zW5oThKiKUpgrade naar KadastraleKaart Pro
dVY8vmUNJNeoR1uNmbZPUpgrade naar KadastraleKaart Pro
9Rr9OJFga5 eJRv yeeTdl3Upgrade naar KadastraleKaart Pro
z 0oMCZKkZ6Upgrade naar KadastraleKaart Pro
awzsABeh2kQpy6Upgrade naar KadastraleKaart Pro
VT YsF KSZEevNeUpgrade naar KadastraleKaart Pro
uovwJ22e9nTsy2teiUpgrade naar KadastraleKaart Pro
u5y n7 0BUpgrade naar KadastraleKaart Pro
U3FPrydsDklaFgA93KrazW2Upgrade naar KadastraleKaart Pro
18/10/2011

Percelen
Gebruik de zoekbalk of klik op een perceel om informatie over het perceel te bekijken.