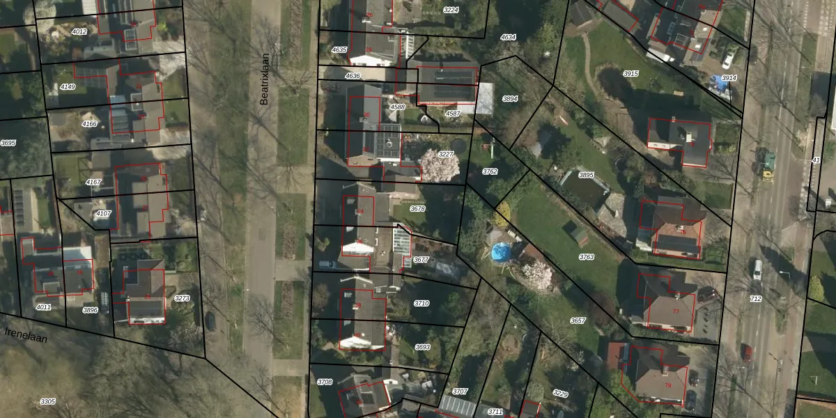
Perceel: STD00-C-3678
KadastraleKaart.com kan meer dan je denktOntdek meer ›
Filter op bestemming 50+ datasets Eigendomsdata in één klik Percelen CRM
420 m2 - 98 m
Eigenaar opvragen
STD00-C-3678 (Sittard)
- 6133 BC
m5RmMjD9ysrJu bcf H3nUGUpgrade naar KadastraleKaart Pro
Bekijk op Street View
Download DWG/DXF/Excel
AvaLY2XYZd0BY2J13oUpgrade naar KadastraleKaart Pro
eALw3uURANYyuBCzMLeUpgrade naar KadastraleKaart Pro
4i7c30 dsJGJPZ yQxdKGUpgrade naar KadastraleKaart Pro
h35Qs2XH33syoRkNZHUpgrade naar KadastraleKaart Pro
hQfVEQ9QUVpFL 4nUpgrade naar KadastraleKaart Pro
QUth z9PI5uCCySMnQghUpgrade naar KadastraleKaart Pro
6J2hSg3 C IJxWeUpgrade naar KadastraleKaart Pro
10T3r6PpEyUpgrade naar KadastraleKaart Pro
UEQdXXGR3Jx cCTUpgrade naar KadastraleKaart Pro
L8PWjXLqUpgrade naar KadastraleKaart Pro
25/03/2003

Percelen
Gebruik de zoekbalk of klik op een perceel om informatie over het perceel te bekijken.