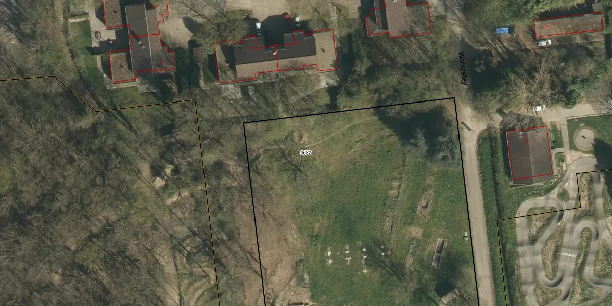
Perceel: STD00-C-3682
KadastraleKaart.com kan meer dan je denktOntdek meer ›
Filter op bestemming 50+ datasets Eigendomsdata in één klik Percelen CRM
Geen adressen bij dit perceel
4.835 m2 - 278 m
Eigenaar opvragen
STD00-C-3682 (Sittard)
- Geen postcode aanwezig
7kAmXzCkpZwU1V0qoT2oq4cuXqUpgrade naar KadastraleKaart Pro
Bekijk op Street View
Download DWG/DXF/Excel
lO2XLlmpX 7dZXX0xsUpgrade naar KadastraleKaart Pro
8e0BlIse26JUBqpfUpgrade naar KadastraleKaart Pro
aKupOkOleUpgrade naar KadastraleKaart Pro
ZPXZv U4Qs KuUpgrade naar KadastraleKaart Pro
T Jr6MwWkrLHKJhj EJWXUpgrade naar KadastraleKaart Pro
KAKP53v4 hmFk0OCYyWUpgrade naar KadastraleKaart Pro
HTOEdNlJkfHWUpgrade naar KadastraleKaart Pro
w9 xLpy8q6zL Upgrade naar KadastraleKaart Pro
Vh utl3wHUpgrade naar KadastraleKaart Pro
ggmgwNII2eqUpgrade naar KadastraleKaart Pro
17/08/2011

Percelen
Gebruik de zoekbalk of klik op een perceel om informatie over het perceel te bekijken.