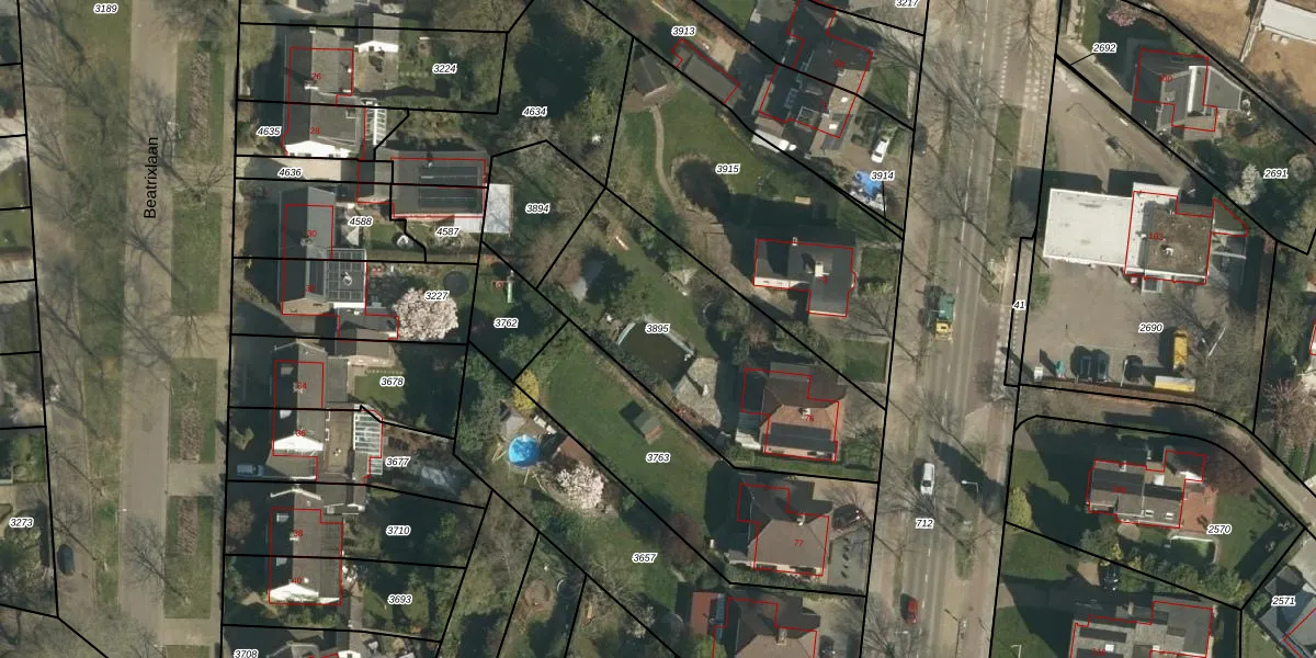
Perceel: STD00-C-3895
KadastraleKaart.com kan meer dan je denktOntdek meer ›
Filter op bestemming 50+ datasets Eigendomsdata in één klik Percelen CRM
1.075 m2 - 147 m
Eigenaar opvragen
STD00-C-3895 (Sittard)
- 6132 CC
F vt8wGUyU6j r6 4SIzf9lJpJUpgrade naar KadastraleKaart Pro
Verkoopprijs opvragen
Bekijk op Street View
Download DWG/DXF/Excel
itBEkPaI a p7aUpgrade naar KadastraleKaart Pro
p 4gQQc3GSc0yNE4HpBXR6DUpgrade naar KadastraleKaart Pro
TImQAn0u4gVj1ZgUpgrade naar KadastraleKaart Pro
ADEFxVFDB Lh4T rGaUk0AYUpgrade naar KadastraleKaart Pro
sd41KjQ5B7DFs3FKGK2dUpgrade naar KadastraleKaart Pro
VQx IGLbUpgrade naar KadastraleKaart Pro
bjEvIuA oz55jolphuo7PJUpgrade naar KadastraleKaart Pro
mFa1DYUW Upgrade naar KadastraleKaart Pro
22LvKRUK2 6J6Qy4yTUpgrade naar KadastraleKaart Pro
h SJjIlYjL PI ToGKQSUpgrade naar KadastraleKaart Pro
25/03/2003

Percelen
Gebruik de zoekbalk of klik op een perceel om informatie over het perceel te bekijken.