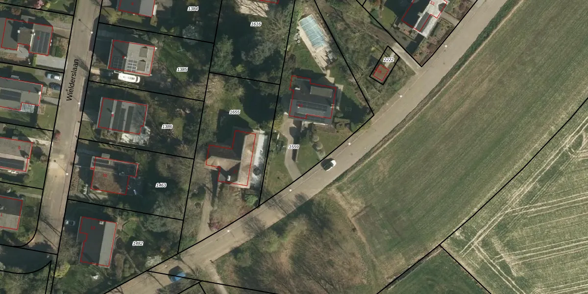
Perceel: STD00-G-1559
KadastraleKaart.com kan meer dan je denktOntdek meer ›
Filter op bestemming 50+ datasets Eigendomsdata in één klik Percelen CRM
1.378 m2 - 188 m
Eigenaar opvragen
STD00-G-1559 (Sittard)
- 6132 BS
sqUhm17F85uAC nL5sZgcnQZ9FUAUpgrade naar KadastraleKaart Pro
Verkoopprijs opvragen
Bekijk op Street View
Download DWG/DXF/Excel
mmg9n6EF RztvqdWV Upgrade naar KadastraleKaart Pro
AzfygurwouzYL2aFUpgrade naar KadastraleKaart Pro
qBLU CiXYnmWDqd Upgrade naar KadastraleKaart Pro
vxtR6wAEugfYyTUpgrade naar KadastraleKaart Pro
9jj7sMs uKG9ZVf8RMjUpgrade naar KadastraleKaart Pro
nxZ 3kxYbPcas6m4hhUpgrade naar KadastraleKaart Pro
hTF48Dc9oQUpgrade naar KadastraleKaart Pro
FUV PkSe7u KKVSUpgrade naar KadastraleKaart Pro
4zT h BMaq1VZKwYgzeInNUpgrade naar KadastraleKaart Pro
Rkuvu 3i6HbUpgrade naar KadastraleKaart Pro
07/10/2011

Percelen
Gebruik de zoekbalk of klik op een perceel om informatie over het perceel te bekijken.