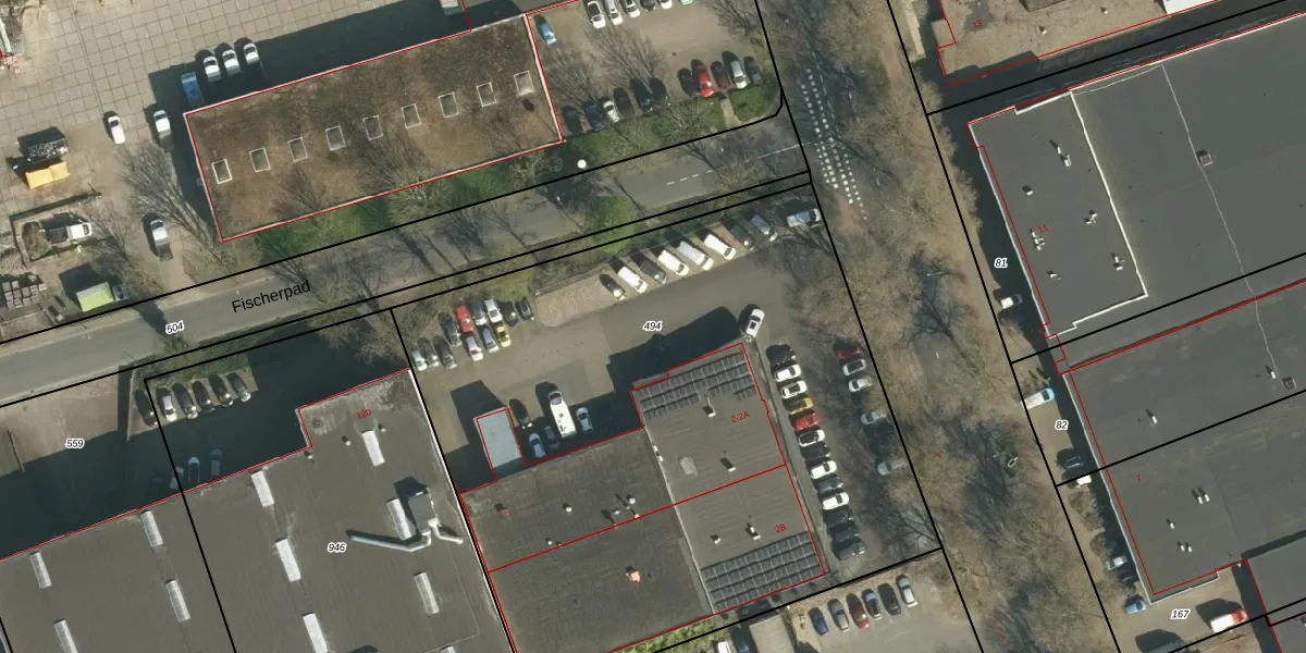
Perceel: STD00-L-494
KadastraleKaart.com kan meer dan je denktOntdek meer ›
Filter op bestemming 50+ datasets Eigendomsdata in één klik Percelen CRM
4.095 m2 - 257 m
Eigenaar opvragen
STD00-L-494 (Sittard)
- 6135 KH
7OvCZj vd6BhdRcZWar2CrGDCdnlUpgrade naar KadastraleKaart Pro
Bekijk op Street View
Download DWG/DXF/Excel
rK 0yZ Po rB8ZBUpgrade naar KadastraleKaart Pro
kNyNVCSg2Cym bb5XkkqkUpgrade naar KadastraleKaart Pro
36 Tl r2Upgrade naar KadastraleKaart Pro
QpGbqrwwHFF0qjUpgrade naar KadastraleKaart Pro
xGPH8pnAu9 wUpgrade naar KadastraleKaart Pro
qJqI5dbUsHVXf1LMo UZZ86Upgrade naar KadastraleKaart Pro
edQoMv7NUpgrade naar KadastraleKaart Pro
Pk 4fCi2s7m0FUpgrade naar KadastraleKaart Pro
FxG3lr0FUpgrade naar KadastraleKaart Pro
EaJTK9WulpzXIcvfUpgrade naar KadastraleKaart Pro
18/01/2018

Percelen
Gebruik de zoekbalk of klik op een perceel om informatie over het perceel te bekijken.