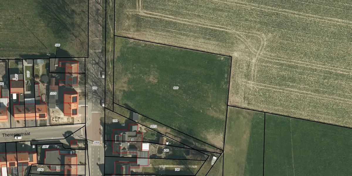
Perceel: STD00-T-806
Geen adressen bij dit perceel
2.980 m2 - 228 m
Eigenaar opvragen
STD00-T-806 (Sittard)
- Geen postcode aanwezig
YLFyIA08s54djL M1 ahy8bUpgrade naar KadastraleKaart Pro
Bekijk op Street View
Download DWG/DXF/Excel
dI0YEalqrHmpPkfRWDWtC4Upgrade naar KadastraleKaart Pro
5fRwBj8OAUpgrade naar KadastraleKaart Pro
nMAC5VXwQI9phUpgrade naar KadastraleKaart Pro
ODmrQSIIUpgrade naar KadastraleKaart Pro
OrdXxEvjyx 7 xE2U jvf kUpgrade naar KadastraleKaart Pro
VuN9Ml1PNQ1Upgrade naar KadastraleKaart Pro
m5fbtYr6lUpgrade naar KadastraleKaart Pro
E8AutdseOXLUpgrade naar KadastraleKaart Pro
5eqgcC 7Xsw DiZUpgrade naar KadastraleKaart Pro
lv17yNbOUpgrade naar KadastraleKaart Pro
30/06/2020

Percelen
Gebruik de zoekbalk of klik op een perceel om informatie over het perceel te bekijken.