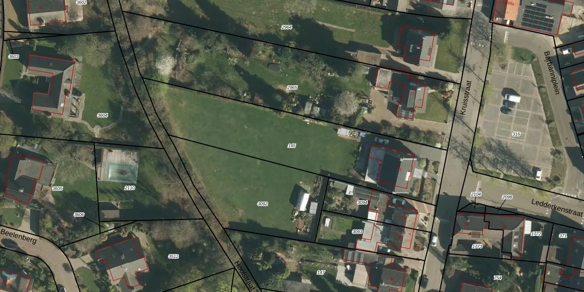
Perceel: STE00-D-145
KadastraleKaart.com kan meer dan je denktOntdek meer ›
Filter op bestemming 50+ datasets Eigendomsdata in één klik Percelen CRM
1.830 m2 - 243 m
Eigenaar opvragen
STE00-D-145 (Stein)
- 6171 GD
n6BBh3lH ltwQ bxv7X4MI Upgrade naar KadastraleKaart Pro
Bekijk op Street View
Download DWG/DXF/Excel
gU QrENTf9NUTCI1lkOtDjBUpgrade naar KadastraleKaart Pro
bocpOASZTfUpgrade naar KadastraleKaart Pro
MQix pmch7pcLcBLZT11Upgrade naar KadastraleKaart Pro
FUJ557L7l5F8Sy Upgrade naar KadastraleKaart Pro
iGM coIwy2Upgrade naar KadastraleKaart Pro
zuUbmkLtmSTQ X8q0oHj0xUpgrade naar KadastraleKaart Pro
2 G4 Cby BYCUpgrade naar KadastraleKaart Pro
fR nY0xc5xUpgrade naar KadastraleKaart Pro
v0 vSyiUbS33A8DYROUpgrade naar KadastraleKaart Pro
rbLZW7 M aRUpgrade naar KadastraleKaart Pro
28/04/2011

Percelen
Gebruik de zoekbalk of klik op een perceel om informatie over het perceel te bekijken.