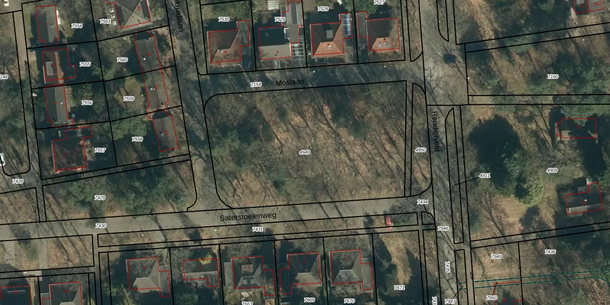
Perceel: STM00-D-4949
KadastraleKaart.com kan meer dan je denktOntdek meer ›
Filter op bestemming 50+ datasets Eigendomsdata in één klik Percelen CRM
Geen adressen bij dit perceel
2.420 m2 - 199 m
Eigenaar opvragen
STM00-D-4949 (Stratum)
- Geen postcode aanwezig
bTKpeYtyYQaknR SkqCypNH iUpgrade naar KadastraleKaart Pro
Bekijk op Street View
Download DWG/DXF/Excel
9OemnO Nt0d3mcoJUpgrade naar KadastraleKaart Pro
ubIhsFp qiKUpgrade naar KadastraleKaart Pro
cPSeeC90Upgrade naar KadastraleKaart Pro
aJafVtcyy0BvtHh7ofF2Upgrade naar KadastraleKaart Pro
Td6tWmzZgCmO3k5RvGIUpgrade naar KadastraleKaart Pro
Z9Cx8 sh3rfUpgrade naar KadastraleKaart Pro
wyoMDbCGUpgrade naar KadastraleKaart Pro
Jt0 aD40tCqLXJoq8e7x12Upgrade naar KadastraleKaart Pro
HQnW2 ytgUqnCH0eUpgrade naar KadastraleKaart Pro
JGUfETxU bRl NUpgrade naar KadastraleKaart Pro
30/10/2008

Percelen
Gebruik de zoekbalk of klik op een perceel om informatie over het perceel te bekijken.