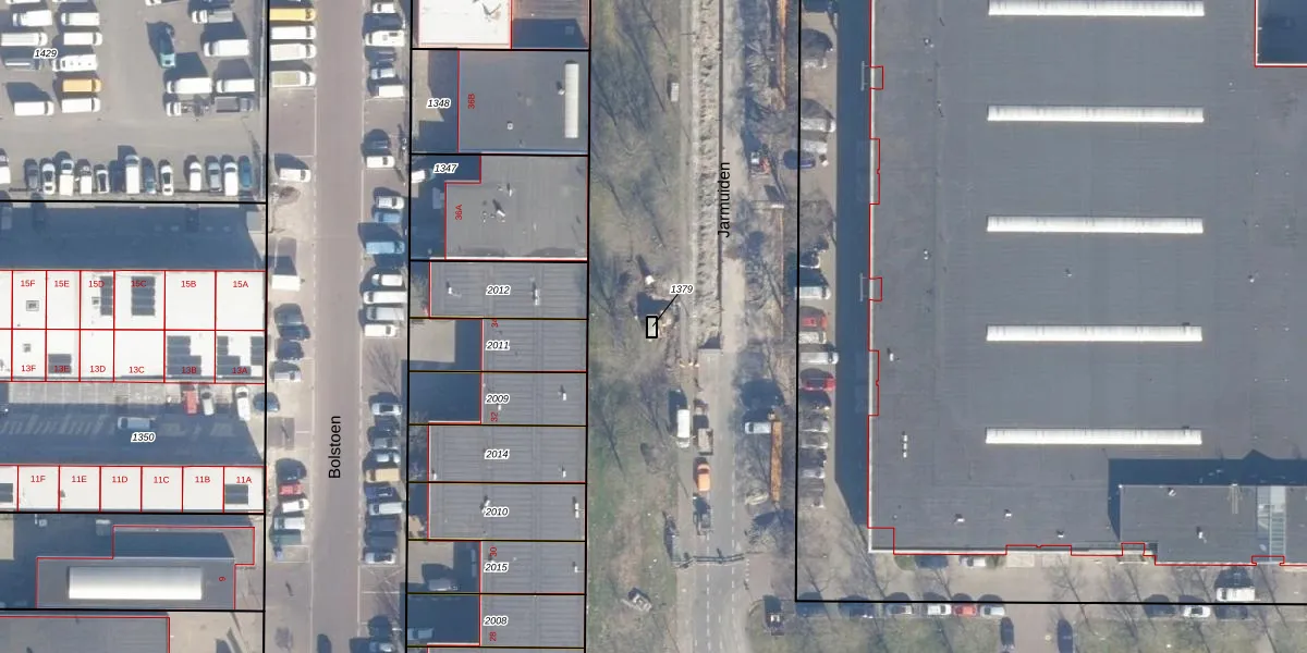
Perceel: STN02-A-1379
KadastraleKaart.com kan meer dan je denktOntdek meer ›
Filter op bestemming 50+ datasets Eigendomsdata in één klik Percelen CRM
Geen adressen bij dit perceel
5 m2 - 9 m
Eigenaar opvragen
STN02-A-1379 (Sloten Noord-Holland)
- Geen postcode aanwezig
8 haNwZL8ASSExsdMNUpgrade naar KadastraleKaart Pro
Bekijk op Street View
Download DWG/DXF/Excel
BujXrZVjA9w Rht hUpgrade naar KadastraleKaart Pro
llSKRJGV bRssOo88Dx9vZFUpgrade naar KadastraleKaart Pro
OyyBykZF 0H9F zP ZUpgrade naar KadastraleKaart Pro
KmczjaarPLK61hxJuUpgrade naar KadastraleKaart Pro
zunge mDx 0bi911Upgrade naar KadastraleKaart Pro
J3P8DhOVAeUpgrade naar KadastraleKaart Pro
dKVb 6Dxr7Upgrade naar KadastraleKaart Pro
vR7niSn6qvKl7US9 vX0Upgrade naar KadastraleKaart Pro
Q yP5vbKOfbWUVUpgrade naar KadastraleKaart Pro
ABazbyS sMaVAnLHUpgrade naar KadastraleKaart Pro
06/08/2010

Percelen
Gebruik de zoekbalk of klik op een perceel om informatie over het perceel te bekijken.