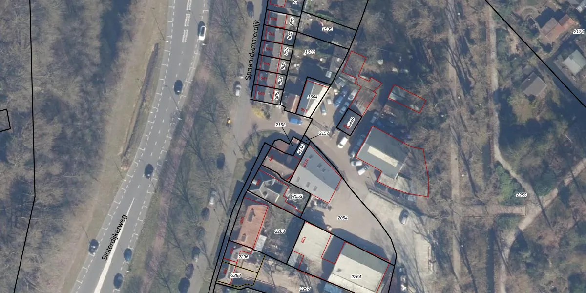
Perceel: STN02-B-2158
KadastraleKaart.com kan meer dan je denktOntdek meer ›
Filter op bestemming 50+ datasets Eigendomsdata in één klik Percelen CRM
Geen adressen bij dit perceel
33 m2 - 27 m
Eigenaar opvragen
STN02-B-2158 (Sloten Noord-Holland)
- Geen postcode aanwezig
BP ElMP p k3YR7 xx3clvzdfobmyUpgrade naar KadastraleKaart Pro
Bekijk op Street View
Download DWG/DXF/Excel
siBNLigCJxKceMxdGcUpgrade naar KadastraleKaart Pro
OTG2rHGifloUpgrade naar KadastraleKaart Pro
FvTvxc 6baUpgrade naar KadastraleKaart Pro
5nxp7nsvUpgrade naar KadastraleKaart Pro
cXpJ Lx 3fRUzaVv05Upgrade naar KadastraleKaart Pro
KITM 1cGp6nrTUpgrade naar KadastraleKaart Pro
iK LTUK VZbg7Ep e7Upgrade naar KadastraleKaart Pro
gZV R9KY7 o9gPUpgrade naar KadastraleKaart Pro
eOwGlwpGRHkO Upgrade naar KadastraleKaart Pro
ISK0NU YvxUpgrade naar KadastraleKaart Pro
14/11/2006

Percelen
Gebruik de zoekbalk of klik op een perceel om informatie over het perceel te bekijken.