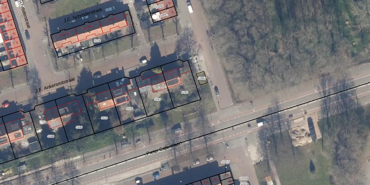
Perceel: STN02-D-5242
KadastraleKaart.com kan meer dan je denktOntdek meer ›
Filter op bestemming 50+ datasets Eigendomsdata in één klik Percelen CRM
354 m2 - 77 m
Eigenaar opvragen
STN02-D-5242 (Sloten Noord-Holland)
- 1068 JX
oelaJ mR3AzGhjzAdWQrQjNBUpgrade naar KadastraleKaart Pro
Bekijk op Street View
Download DWG/DXF/Excel
vPvo 6xiUpgrade naar KadastraleKaart Pro
Xzs4 4hcUh8XgEsLuXtNFUpgrade naar KadastraleKaart Pro
1oxipID7T7iUvDBV MtE8Upgrade naar KadastraleKaart Pro
kDGlmbTiiev YhG 5oUpgrade naar KadastraleKaart Pro
E67SSutUpgrade naar KadastraleKaart Pro
D L mG Vq j0aO84k5toIUpgrade naar KadastraleKaart Pro
Aj 59N6U23gm84EYUpgrade naar KadastraleKaart Pro
xptWXzO Upgrade naar KadastraleKaart Pro
Hwn4pK SQ8NWLYv sUpgrade naar KadastraleKaart Pro
9TjPQTvvWUpgrade naar KadastraleKaart Pro
01/11/2006

Percelen
Gebruik de zoekbalk of klik op een perceel om informatie over het perceel te bekijken.