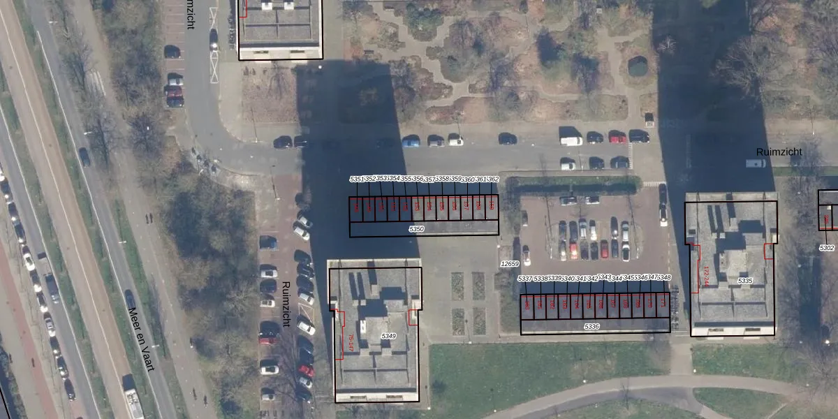
Perceel: STN02-D-5356
KadastraleKaart.com kan meer dan je denktOntdek meer ›
Filter op bestemming 50+ datasets Eigendomsdata in één klik Percelen CRM
18 m2 - 18 m
Eigenaar opvragen
STN02-D-5356 (Sloten Noord-Holland)
- 1068 CS
kW KB4ukFhD PbvgHRTDULUpgrade naar KadastraleKaart Pro
Bekijk op Street View
Download DWG/DXF/Excel
wxxyyNhEsUpgrade naar KadastraleKaart Pro
6THT XnyKeY5eUpgrade naar KadastraleKaart Pro
O4thn8NUUpgrade naar KadastraleKaart Pro
FFuxr8sujNzWG1 A1ALRQUpgrade naar KadastraleKaart Pro
waL yhFAUkIugJuMkgOiWpUpgrade naar KadastraleKaart Pro
XUW0eiPbUpgrade naar KadastraleKaart Pro
iawarKMaDyPUpgrade naar KadastraleKaart Pro
Mg7GF8bo1TgUpgrade naar KadastraleKaart Pro
SirMfvlJH5Upgrade naar KadastraleKaart Pro
EY tfMoOUR Upgrade naar KadastraleKaart Pro
16/12/2009

Percelen
Gebruik de zoekbalk of klik op een perceel om informatie over het perceel te bekijken.