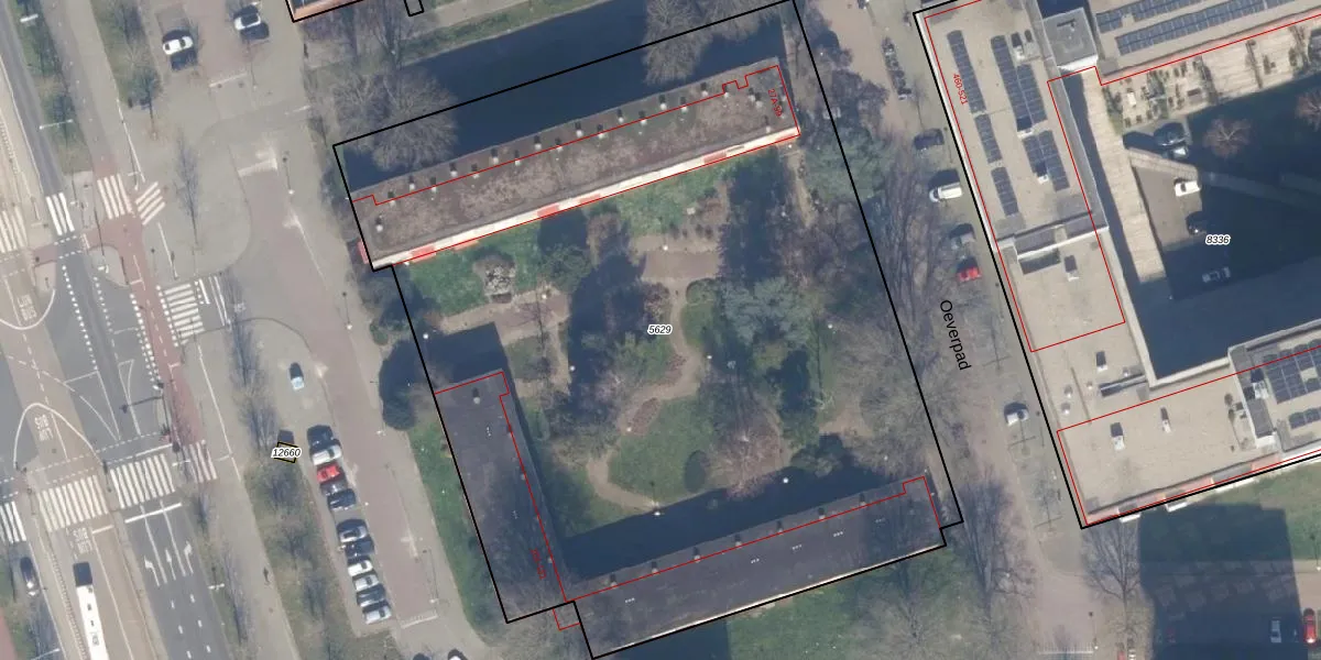
Perceel: STN02-D-5629

183 adressen bij perceel

Meer en Vaart 27 A t/m 151
Oeverpad 295 t/m 628

Perceeloppervlakte & perceelomtrek

5.990 m2 - 318 m

Eigenaar van het perceel

Eigenaar opvragen

Kadastrale aanduiding

STN02-D-5629 (Sloten Noord-Holland)

Postcodes in perceel

    1068 KV -1068 KW -1068 KX -1068 KZ -1068 PJ -1068 PM

Type eigenaar

QNlSgInc2rs1uK1vx Upgrade naar KadastraleKaart Pro

Woning verkocht in 2001

Verkoopprijs opvragen

Google Street View

Bekijk op Street View

Download

Download DWG/DXF/Excel

Gerelateerde percelen

8J A3BriZ1QUpgrade naar KadastraleKaart Pro

Bebouwd/onbebouwd/water/groen

ZMibqb D6NP uUpgrade naar KadastraleKaart Pro
Administratieve eenheden
7OtaklcMkdNJUpgrade naar KadastraleKaart Pro

Appartementsrechten

c RSi3oAkX3CDK zVRUpgrade naar KadastraleKaart Pro

Vergunningverlenende instanties

GAIATSz8mbk4JD5Q2Upgrade naar KadastraleKaart Pro

Bedekking (BGT)

X6 5Jbr5U wRADC5VeJ4KqnUpgrade naar KadastraleKaart Pro

Publiekrechtelijke beperkingen

isI8kirNdM4Lin0YpGspkuUpgrade naar KadastraleKaart Pro

Grensnauwkeurigheid

LF9cq7AsjEUDH HeUpgrade naar KadastraleKaart Pro

Coördinaten hoekpunten perceel

e0W5xNa4lSlqVDtX DBfUpgrade naar KadastraleKaart Pro

Hoogteligging

Z1 DS7A fiXNiMvdsUpgrade naar KadastraleKaart Pro

Laatst gewijzigd

16/12/2009

Kadastrale kaart met maatvoering 59,95
Kadastrale kaart pakket 28,95

Percelen

Gebruik de zoekbalk of klik op een perceel om informatie over het perceel te bekijken.
Locatie
Meten
Lagen
Download