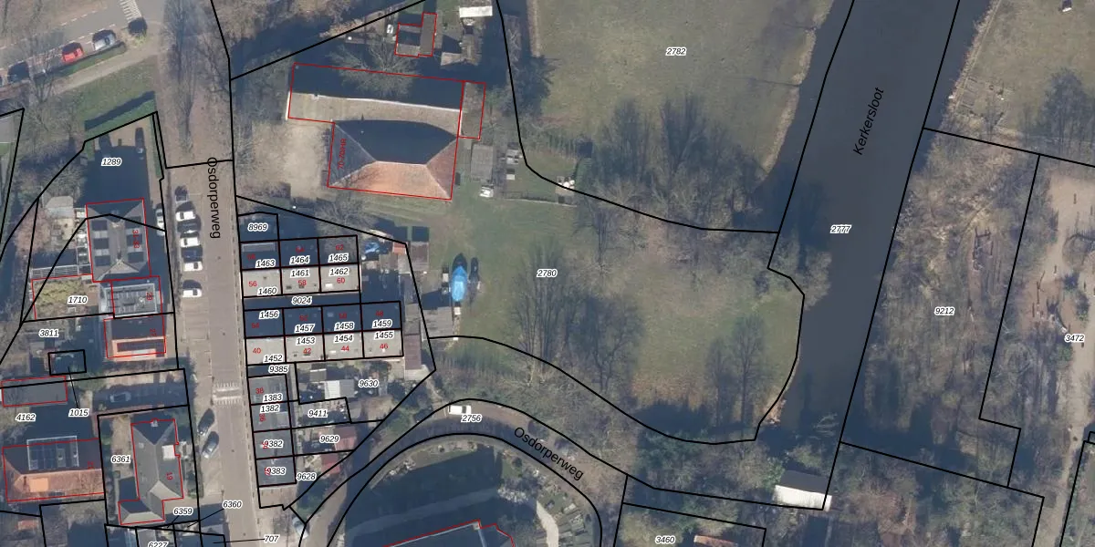
Perceel: STN02-E-2780
KadastraleKaart.com kan meer dan je denktOntdek meer ›
Filter op bestemming 50+ datasets Eigendomsdata in één klik Percelen CRM
4.040 m2 - 315 m
Eigenaar opvragen
STN02-E-2780 (Sloten Noord-Holland)
- 1066 EM
RCteRtiTQ3VcUvwmUpgrade naar KadastraleKaart Pro
Bekijk op Street View
Download DWG/DXF/Excel
eVrTaWRij2SaM bfU rUpgrade naar KadastraleKaart Pro
hhPiw6Hpt4JvvuWAXShNUpgrade naar KadastraleKaart Pro
QhQ2QViJ01AH Qxj7AvqfUpgrade naar KadastraleKaart Pro
Rqtjtik0lsgp1FF uauzjRUpgrade naar KadastraleKaart Pro
Z g6J syaQkblZGzTXcUpgrade naar KadastraleKaart Pro
T5fE3P7SgVDD1n D XEGXUpgrade naar KadastraleKaart Pro
n s2bRzc0 XmFSTUpgrade naar KadastraleKaart Pro
rv0tfCG3 vAUpgrade naar KadastraleKaart Pro
0IDUc4QPJUpgrade naar KadastraleKaart Pro
078GX YLC5XetjApZxDUpgrade naar KadastraleKaart Pro
05/07/2005

Percelen
Gebruik de zoekbalk of klik op een perceel om informatie over het perceel te bekijken.