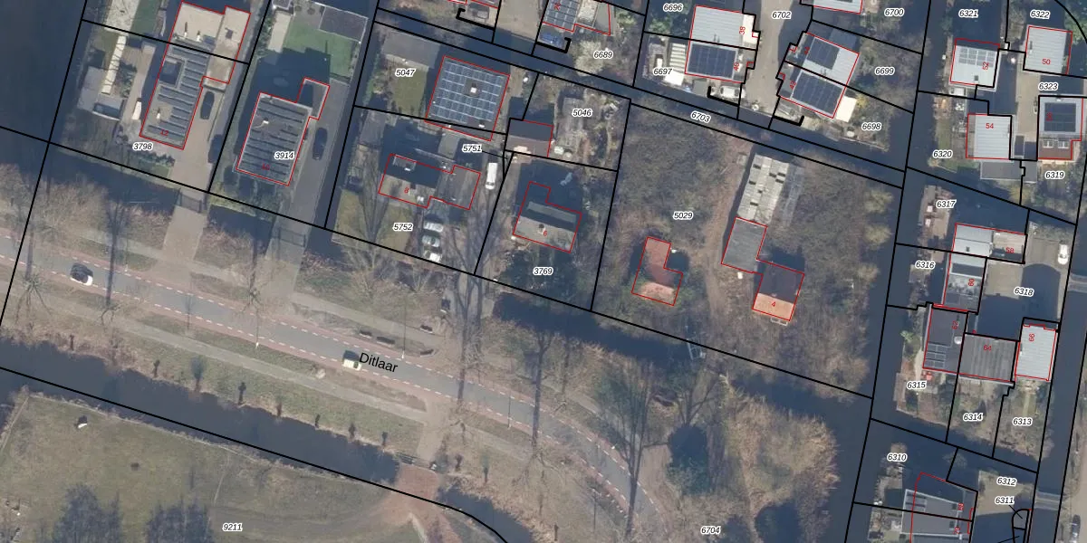
Perceel: STN02-E-3769
KadastraleKaart.com kan meer dan je denktOntdek meer ›
Filter op bestemming 50+ datasets Eigendomsdata in één klik Percelen CRM
509 m2 - 92 m
Eigenaar opvragen
STN02-E-3769 (Sloten Noord-Holland)
- 1066 EE
5PSFOJuzPFDAll joaMZ1PFhstJUpgrade naar KadastraleKaart Pro
Verkoopprijs opvragen
Bekijk op Street View
Download DWG/DXF/Excel
vtelYwlydGUewAtUUpgrade naar KadastraleKaart Pro
oiJ EDKl3oE6Wl F6F KgHUpgrade naar KadastraleKaart Pro
MKuIsSsUx7n kbUpgrade naar KadastraleKaart Pro
22unLTdXSKgs1WlIN5jgkHUpgrade naar KadastraleKaart Pro
tV d2 wYWcDItVKNwUpgrade naar KadastraleKaart Pro
5VyLBXH vVllscpUKo Upgrade naar KadastraleKaart Pro
nCEw vIMp2F85 SqT46WE1Upgrade naar KadastraleKaart Pro
B v2Og5xJtgzZv 1hUpgrade naar KadastraleKaart Pro
5g BEnCfXc1hzlSUpgrade naar KadastraleKaart Pro
pvbUll2T1EqKbOhUpgrade naar KadastraleKaart Pro
22/06/2005

Percelen
Gebruik de zoekbalk of klik op een perceel om informatie over het perceel te bekijken.