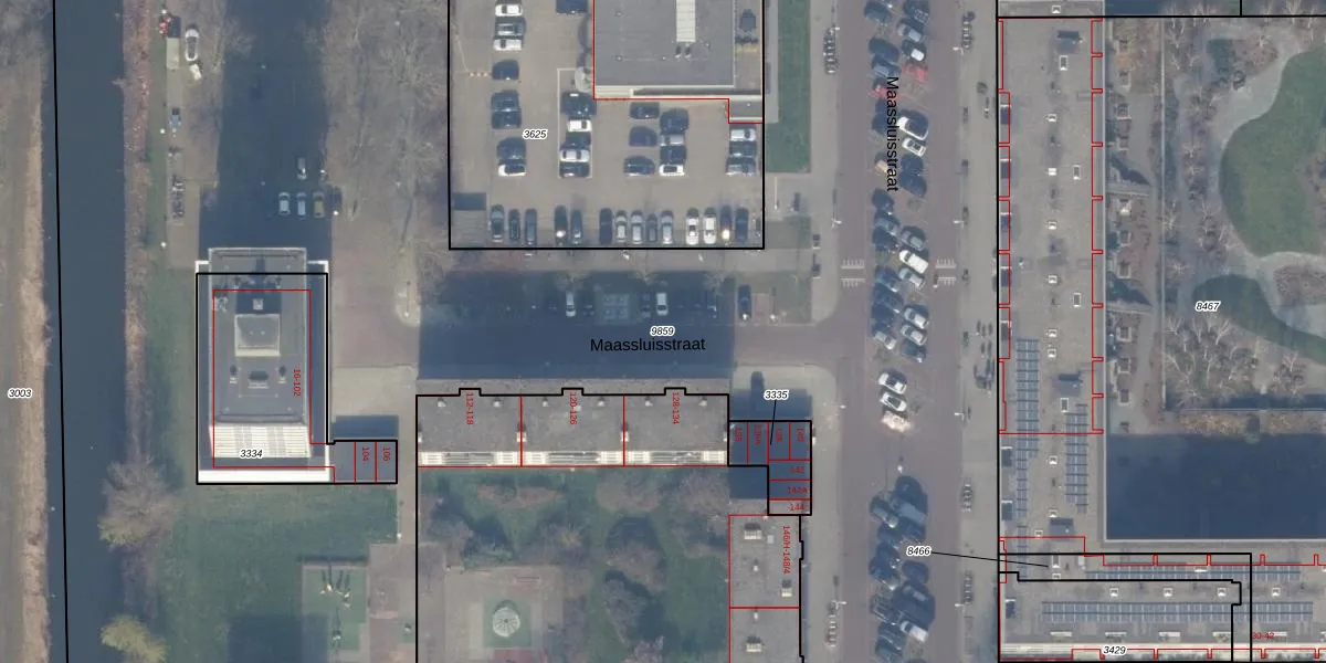
Perceel: STN02-E-9859
KadastraleKaart.com kan meer dan je denktOntdek meer ›
Filter op bestemming 50+ datasets Eigendomsdata in één klik Percelen CRM
143.278 m2 - 7.010 m
Eigenaar opvragen
STN02-E-9859 (Sloten Noord-Holland)
- 1062 EA -1062 HP -1062 JB
MMAj XoxWg0naMZpqT oi Upgrade naar KadastraleKaart Pro
Bekijk op Street View
Download DWG/DXF/Excel
SGuH XzvQlsTIzR9SKfg7NUpgrade naar KadastraleKaart Pro
Eot1wve1Upgrade naar KadastraleKaart Pro
mT 4H7WBv 3Upgrade naar KadastraleKaart Pro
gckNGJCtCUpgrade naar KadastraleKaart Pro
RsZc 8gR87J0R7EUpgrade naar KadastraleKaart Pro
y3W4AbWWn69Upgrade naar KadastraleKaart Pro
sVaiIiCGVfd Rxoz4aUpgrade naar KadastraleKaart Pro
FIb6 cYWkQoHx Z ij iAswUpgrade naar KadastraleKaart Pro
r al0cJ4bc0TSUpgrade naar KadastraleKaart Pro
7xT7uXViNQ4Upgrade naar KadastraleKaart Pro
14/10/2025

Percelen
Gebruik de zoekbalk of klik op een perceel om informatie over het perceel te bekijken.