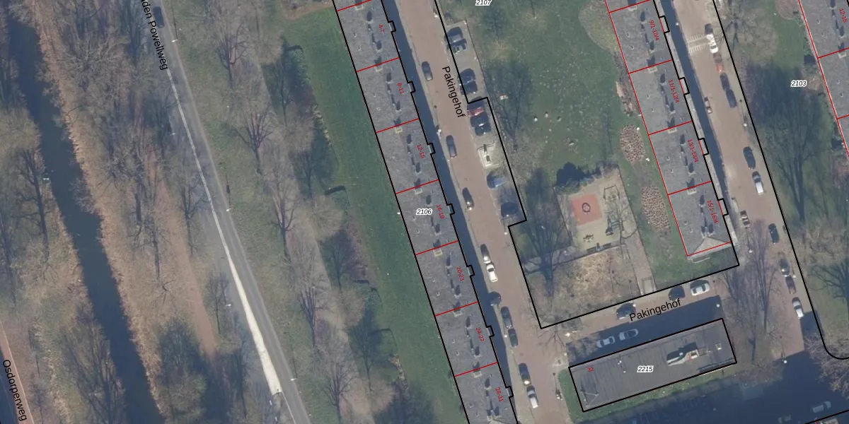
Perceel: STN02-I-2106
KadastraleKaart.com kan meer dan je denktOntdek meer ›
Filter op bestemming 50+ datasets Eigendomsdata in één klik Percelen CRM
1.382 m2 - 291 m
Eigenaar opvragen
STN02-I-2106 (Sloten Noord-Holland)
- 1069 XG -1069 XH -1069 XJ
IKLGGntbzO4E5T3wxFUpgrade naar KadastraleKaart Pro
Bekijk op Street View
Download DWG/DXF/Excel
W1RfjkX oXW1DsZr25WUpgrade naar KadastraleKaart Pro
Tj7r XSqK 3fLlASLkRAHUpgrade naar KadastraleKaart Pro
XlxsdvX2 8WfbVkJwt Upgrade naar KadastraleKaart Pro
IeJltnkBOn14vPdZL qIopUpgrade naar KadastraleKaart Pro
CfxC9g5 k Ev1DsUpgrade naar KadastraleKaart Pro
5pWawtrQS5lv6YJ7DCVRTtUpgrade naar KadastraleKaart Pro
0jOYd GaKvD8rPetKU09 Upgrade naar KadastraleKaart Pro
wb4z kJj2MRYg28 vUpgrade naar KadastraleKaart Pro
UA QVGbeUpgrade naar KadastraleKaart Pro
O0o3013v6NTg5pH Upgrade naar KadastraleKaart Pro
23/12/2008

Percelen
Gebruik de zoekbalk of klik op een perceel om informatie over het perceel te bekijken.