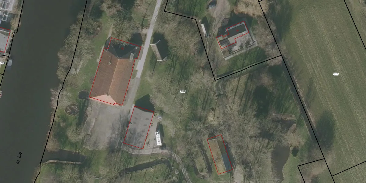
Perceel: STN03-A-553
KadastraleKaart.com kan meer dan je denktOntdek meer ›
Filter op bestemming 50+ datasets Eigendomsdata in één klik Percelen CRM
21.030 m2 - 721 m
Eigenaar opvragen
STN03-A-553 (Sloten Friesland)
- 8556 AK
ZpOH5 M7 hOPk9r7dUpgrade naar KadastraleKaart Pro
Bekijk op Street View
Download DWG/DXF/Excel
oxrOCYRshiQU37 QvYD KIUpgrade naar KadastraleKaart Pro
j73PxFH7WLjCUUEpzcUpgrade naar KadastraleKaart Pro
Tu ESAW2Us5 meIobUpgrade naar KadastraleKaart Pro
pjzuerkF3YDWunlA0Upgrade naar KadastraleKaart Pro
nrGFJJZYUpgrade naar KadastraleKaart Pro
pzhD AmZf Upgrade naar KadastraleKaart Pro
wktoU8 i jqkVXnEppNRmCUUpgrade naar KadastraleKaart Pro
KGCyF1QaXksZvNxYHB3y9THUpgrade naar KadastraleKaart Pro
t2 zvqHf gx 2mLHX5sjUpgrade naar KadastraleKaart Pro
5 9pz2HZ m0Upgrade naar KadastraleKaart Pro
10/02/2003

Percelen
Gebruik de zoekbalk of klik op een perceel om informatie over het perceel te bekijken.