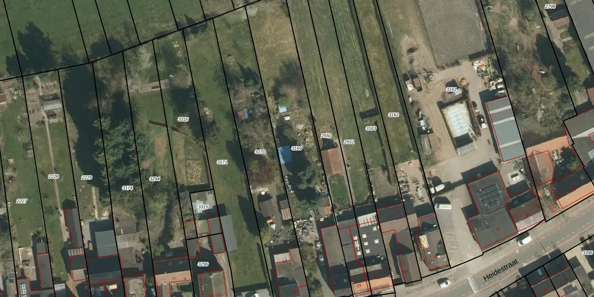
Perceel: STR01-B-3169
KadastraleKaart.com kan meer dan je denktOntdek meer ›
Filter op bestemming 50+ datasets Eigendomsdata in één klik Percelen CRM
1.465 m2 - 236 m
Eigenaar opvragen
STR01-B-3169 (Susteren)
- 6114 AA
rHZzxA4CxE5 tkrXX9 BPt5vgIGMkEUpgrade naar KadastraleKaart Pro
Verkoopprijs opvragen
Bekijk op Street View
Download DWG/DXF/Excel
TmAwhUJl3nVZBZU ImyLP8FUpgrade naar KadastraleKaart Pro
LBQ9fDpkzsnjtWNF3MIUpgrade naar KadastraleKaart Pro
2L6DMBWHShE7lUpgrade naar KadastraleKaart Pro
6lSSOOJH RO D0NdaZ3ZHUpgrade naar KadastraleKaart Pro
8RE9U4 v4Fg 1a Upgrade naar KadastraleKaart Pro
GejjGecXbb6c H VW3rH4Upgrade naar KadastraleKaart Pro
8t53K6J KKAYo578w9J1yZUpgrade naar KadastraleKaart Pro
C9yeOoaWqY8epUpgrade naar KadastraleKaart Pro
p0ViG 9 Upgrade naar KadastraleKaart Pro
AjXjih1ri ZpUpgrade naar KadastraleKaart Pro
08/09/2023

Percelen
Gebruik de zoekbalk of klik op een perceel om informatie over het perceel te bekijken.