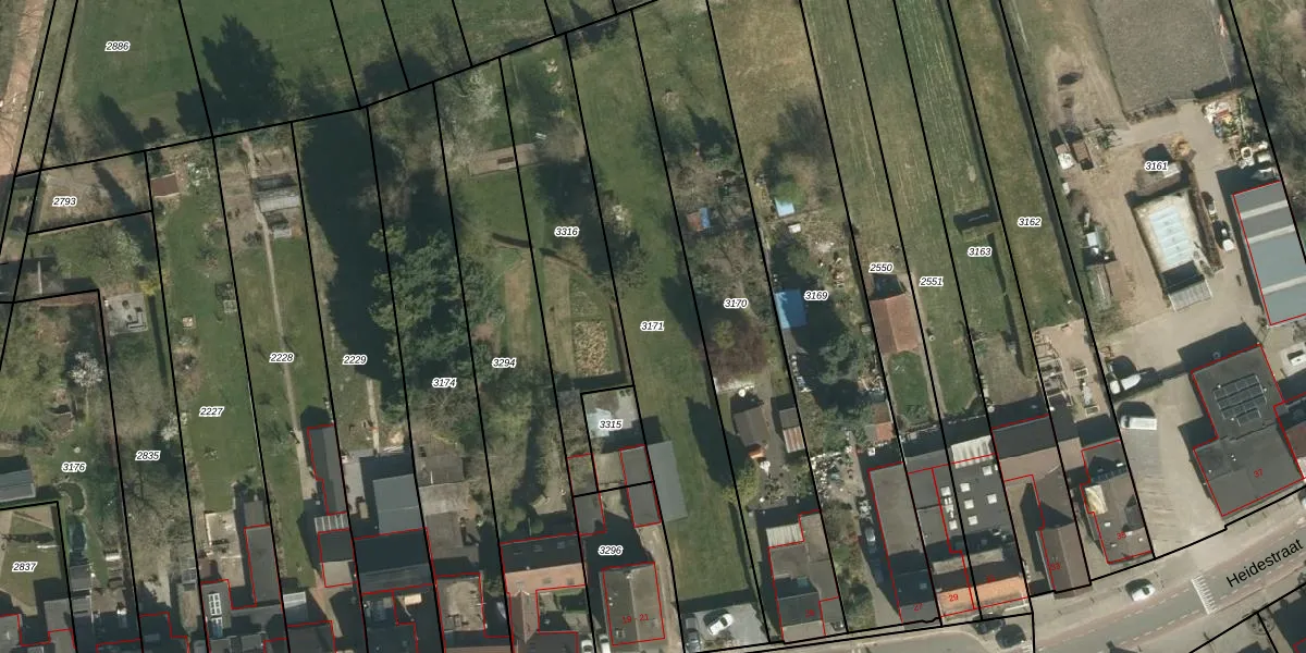
Perceel: STR01-B-3171
KadastraleKaart.com kan meer dan je denktOntdek meer ›
Filter op bestemming 50+ datasets Eigendomsdata in één klik Percelen CRM
Geen adressen bij dit perceel
1.170 m2 - 220 m
Eigenaar opvragen
STR01-B-3171 (Susteren)
- Geen postcode aanwezig
IdS9E w4mXBTtDEGK 6ZkUpgrade naar KadastraleKaart Pro
Bekijk op Street View
Download DWG/DXF/Excel
RZbMc4co7 vq5dZgUpgrade naar KadastraleKaart Pro
HfqKtCHEpLRKDTUpgrade naar KadastraleKaart Pro
bIyc2c6CYeR KDdt2UUpgrade naar KadastraleKaart Pro
8ZSD0EdhC05TYquHOwBLFUpgrade naar KadastraleKaart Pro
nTMU2HiumzWEmbDnDRKJHUpgrade naar KadastraleKaart Pro
DFXP1AfjUpgrade naar KadastraleKaart Pro
lg 3fOXNcy0O nYUpgrade naar KadastraleKaart Pro
yJNLt ZD58r9h9G1sUpgrade naar KadastraleKaart Pro
bCAr8zv JmRcQ 4iRGUpgrade naar KadastraleKaart Pro
e FQ6txOisFbcIrKUpgrade naar KadastraleKaart Pro
14/01/1998

Percelen
Gebruik de zoekbalk of klik op een perceel om informatie over het perceel te bekijken.