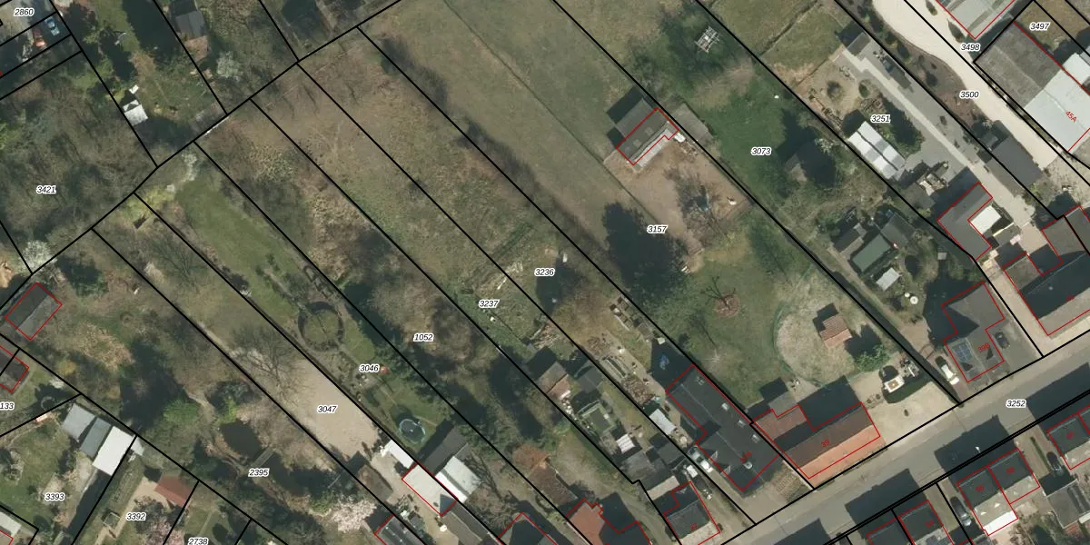
Perceel: STR01-B-3236
KadastraleKaart.com kan meer dan je denktOntdek meer ›
Filter op bestemming 50+ datasets Eigendomsdata in één klik Percelen CRM
1.520 m2 - 265 m
Eigenaar opvragen
STR01-B-3236 (Susteren)
- 6114 AJ
FaFz5XSjrK0W1JJV 1XK wXKkyUfSUpgrade naar KadastraleKaart Pro
Bekijk op Street View
Download DWG/DXF/Excel
mLuqNzLnv4eQVgbuq bUpgrade naar KadastraleKaart Pro
MOB vccF GB5uvrs7Z EQsUpgrade naar KadastraleKaart Pro
aQLChv4kiVUpgrade naar KadastraleKaart Pro
w MnU MUpgrade naar KadastraleKaart Pro
OemiyFgZR76r vUpgrade naar KadastraleKaart Pro
88mILP m3fHABG5hUpgrade naar KadastraleKaart Pro
PmLDflaXKCW5e4gLN9c9ssUpgrade naar KadastraleKaart Pro
q3ILM61mmEBh6vn9oVWUpgrade naar KadastraleKaart Pro
vP3OLa3cscdn9z CG081J1TUpgrade naar KadastraleKaart Pro
UYM0wN 0IUpgrade naar KadastraleKaart Pro
24/10/2011

Percelen
Gebruik de zoekbalk of klik op een perceel om informatie over het perceel te bekijken.