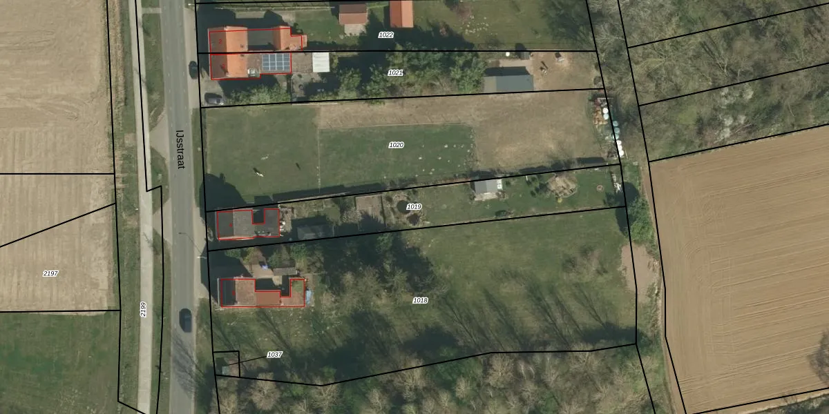
Perceel: STR01-H-1019
KadastraleKaart.com kan meer dan je denktOntdek meer ›
Filter op bestemming 50+ datasets Eigendomsdata in één klik Percelen CRM
1.010 m2 - 222 m
Eigenaar opvragen
STR01-H-1019 (Susteren)
- 6114 RM
lrl3D r VBSRVAiyG3JlNUpgrade naar KadastraleKaart Pro
Verkoopprijs opvragen
Bekijk op Street View
Download DWG/DXF/Excel
QtJaDfx HoJMBQ cUpgrade naar KadastraleKaart Pro
CRD50zH7KoOUpgrade naar KadastraleKaart Pro
at I7IwY7qTOic7OorUpgrade naar KadastraleKaart Pro
sQ33ubuUEr8lIHir8YHUpgrade naar KadastraleKaart Pro
jHd XYH4vs1unWLjRQirW 2Upgrade naar KadastraleKaart Pro
M8APXDe 033rz DrAyUpgrade naar KadastraleKaart Pro
nX dHlmdOEsX9iUpgrade naar KadastraleKaart Pro
UtPxMzo HUpgrade naar KadastraleKaart Pro
k9Z8OQnE4rN7f0 0 Upgrade naar KadastraleKaart Pro
G0ofCYE0Upgrade naar KadastraleKaart Pro
24/12/2021

Percelen
Gebruik de zoekbalk of klik op een perceel om informatie over het perceel te bekijken.