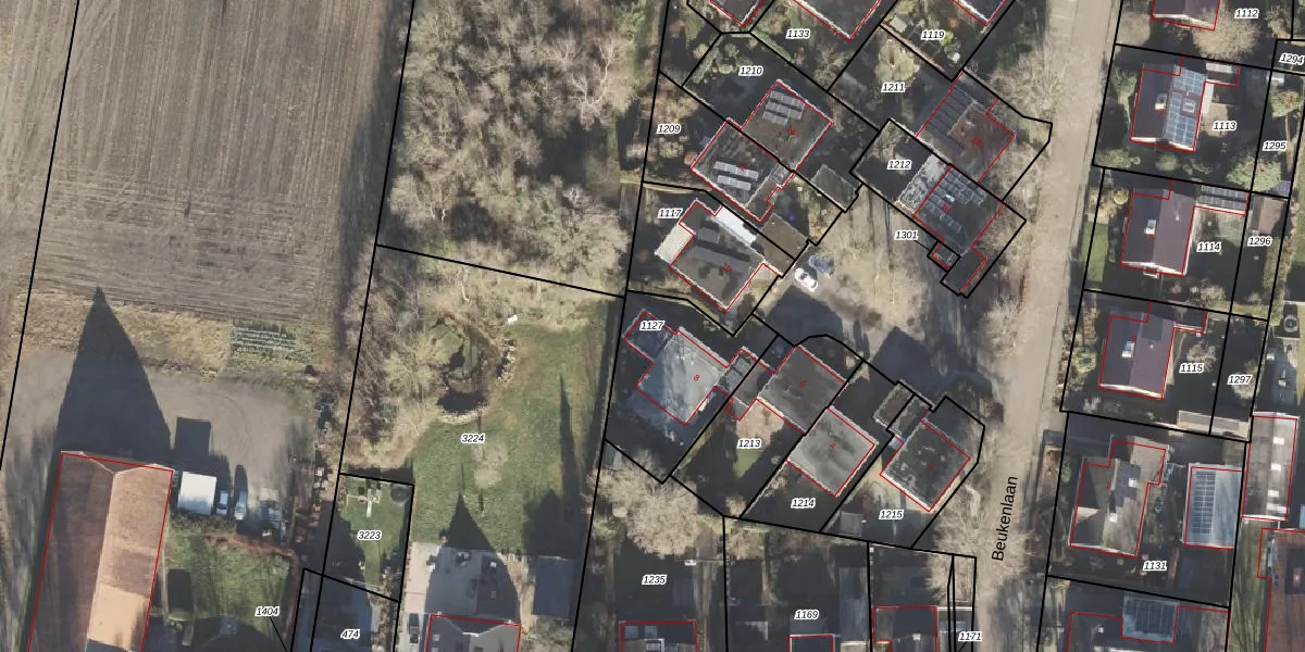
Perceel: STR02-K-1127
461 m2 - 91 m
Eigenaar opvragen
STR02-K-1127 (Slochteren)
- 9615 AV
TGKcxcF DR ad lpdYwZTOX7Kg9fEUpgrade naar KadastraleKaart Pro
Verkoopprijs opvragen
Bekijk op Street View
Download DWG/DXF/Excel
t7vL bMpQo0tZ1EUpgrade naar KadastraleKaart Pro
Z ZGkNX4edKAYsA9G0Upgrade naar KadastraleKaart Pro
cW ggDxAr2t2SFXLUpgrade naar KadastraleKaart Pro
svaqcdT2 XmkZSt14cHPUpgrade naar KadastraleKaart Pro
P8mzOknaUpgrade naar KadastraleKaart Pro
nYjdUSpkBUpgrade naar KadastraleKaart Pro
N iMhGeGgNUpgrade naar KadastraleKaart Pro
jZv1eFtlsQUpgrade naar KadastraleKaart Pro
eV0ldSg gHt1G82PA f65Upgrade naar KadastraleKaart Pro
bUuBmsEUpgrade naar KadastraleKaart Pro
03/02/2011

Percelen
Gebruik de zoekbalk of klik op een perceel om informatie over het perceel te bekijken.