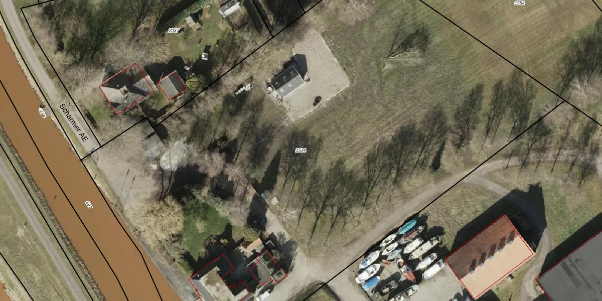
Perceel: STR02-P-1514
10.240 m2 - 441 m
Eigenaar opvragen
STR02-P-1514 (Slochteren)
- 9618 PB
K8k4Qi X67GZSWq8AOzUpgrade naar KadastraleKaart Pro
Bekijk op Street View
Download DWG/DXF/Excel
xPXxZJzo2Upgrade naar KadastraleKaart Pro
LomjbSKsYn qrtbRu5rKu7Upgrade naar KadastraleKaart Pro
KJPka fPLUpgrade naar KadastraleKaart Pro
Iw1eLSaW9PRU5aSBuz QUpgrade naar KadastraleKaart Pro
DS PLH kTUpgrade naar KadastraleKaart Pro
ryoIymOOBhaLSRUpgrade naar KadastraleKaart Pro
v Ol5fMIwUsUpgrade naar KadastraleKaart Pro
n4ViauFCVfU Upgrade naar KadastraleKaart Pro
WRf8xdQia0X0 C7Upgrade naar KadastraleKaart Pro
IiOpNLlS2j0C52 wIrRUpgrade naar KadastraleKaart Pro
15/10/2020

Percelen
Gebruik de zoekbalk of klik op een perceel om informatie over het perceel te bekijken.