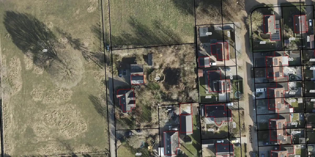
Perceel: STR02-T-448
2.435 m2 - 211 m
Eigenaar opvragen
STR02-T-448 (Slochteren)
- 9628 BG
v PlKGSw Wpz2QNLA10 bEIYYYI Upgrade naar KadastraleKaart Pro
Bekijk op Street View
Download DWG/DXF/Excel
hklr7eN7PGUpgrade naar KadastraleKaart Pro
NJxDx H39RPHTFUpgrade naar KadastraleKaart Pro
tjns H uqtUpgrade naar KadastraleKaart Pro
6wAzMW4HnaekzOUpgrade naar KadastraleKaart Pro
D 9h7MvIzAzUpgrade naar KadastraleKaart Pro
600IVLkbcivUpgrade naar KadastraleKaart Pro
pXlKjetEneXol2A4 aCm4wBUpgrade naar KadastraleKaart Pro
WOyQO PXX0jjk7UJkXlUpgrade naar KadastraleKaart Pro
fw97mKUZHj6 mu vYElWdQUpgrade naar KadastraleKaart Pro
iEIVcJTvqEPL33 sMnjUpgrade naar KadastraleKaart Pro
06/04/2000

Percelen
Gebruik de zoekbalk of klik op een perceel om informatie over het perceel te bekijken.