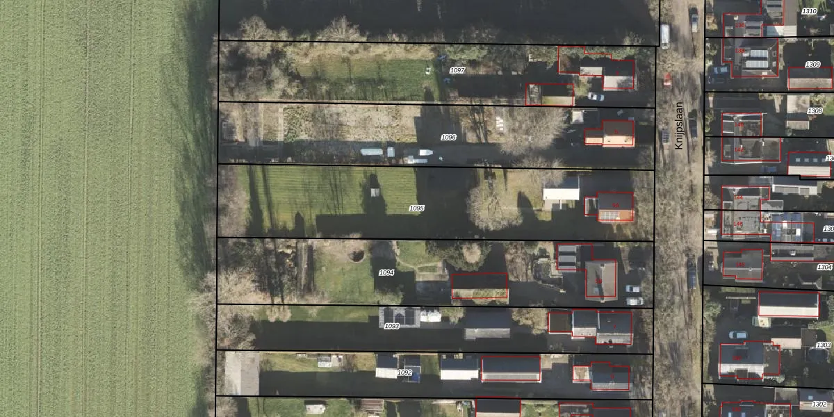
Perceel: STR02-U-1095
1.810 m2 - 244 m
Eigenaar opvragen
STR02-U-1095 (Slochteren)
- 9615 BC
df4 8kocJA sgiuJFlt3 yUpgrade naar KadastraleKaart Pro
Bekijk op Street View
Download DWG/DXF/Excel
KONZMzi38OzNUpgrade naar KadastraleKaart Pro
V kriVWcbehWoaUpgrade naar KadastraleKaart Pro
D ci5 wInc4r771IowIUpgrade naar KadastraleKaart Pro
A63Xdc4U9KeUpgrade naar KadastraleKaart Pro
r4kWH6 Xjoa Upgrade naar KadastraleKaart Pro
lZArIowNLxY cu4nmRpUpgrade naar KadastraleKaart Pro
k3u3 4xJkpwkfNUpgrade naar KadastraleKaart Pro
RSqCFlrOO2RL CBJ3WZPCczUpgrade naar KadastraleKaart Pro
2LzpD3cBKwQtKb98wyR4 axUpgrade naar KadastraleKaart Pro
iVikUZveMFoKdW V3aKnSUpgrade naar KadastraleKaart Pro
14/11/1997

Percelen
Gebruik de zoekbalk of klik op een perceel om informatie over het perceel te bekijken.