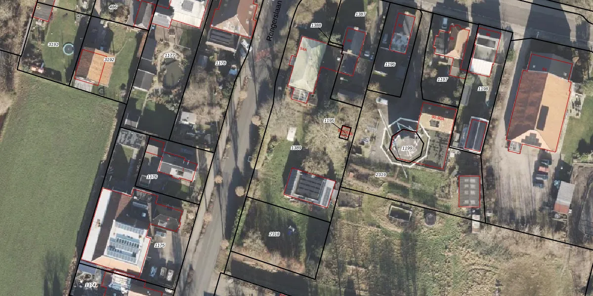
Perceel: STR02-U-1389
1.730 m2 - 223 m
Eigenaar opvragen
STR02-U-1389 (Slochteren)
- 9615 AH
VoOuAu UNBl34HRJeM8Iw9Upgrade naar KadastraleKaart Pro
Bekijk op Street View
Download DWG/DXF/Excel
JRfhIVqQoQUpgrade naar KadastraleKaart Pro
dulIpPh2JUpgrade naar KadastraleKaart Pro
kzQUe17 fhcZUpgrade naar KadastraleKaart Pro
znEpXWjyd1DcTRa51C1aUpgrade naar KadastraleKaart Pro
o0vINfFu7msK osyGibCt gUpgrade naar KadastraleKaart Pro
5zDhu ZRAJ5WjUpgrade naar KadastraleKaart Pro
Th0aYXwwEez4wxicrUpgrade naar KadastraleKaart Pro
R 341KMYmL6nUpgrade naar KadastraleKaart Pro
9D1mbZyQG0jLUpgrade naar KadastraleKaart Pro
S KACS2RIUpgrade naar KadastraleKaart Pro
14/11/2005

Percelen
Gebruik de zoekbalk of klik op een perceel om informatie over het perceel te bekijken.