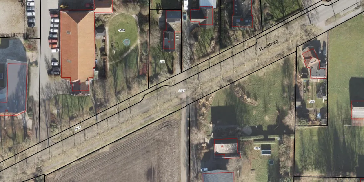
Perceel: STR02-U-3117
Geen adressen bij dit perceel
8.326 m2 - 1.269 m
Eigenaar opvragen
STR02-U-3117 (Slochteren)
- Geen postcode aanwezig
wgWjA1 U6pI2fY5PmFJ ayQb sjRFUpgrade naar KadastraleKaart Pro
Bekijk op Street View
Download DWG/DXF/Excel
A8mu7D8m1AXUpgrade naar KadastraleKaart Pro
Z wxi5TVU29uqovvUpgrade naar KadastraleKaart Pro
a2Uf9rosm5Upgrade naar KadastraleKaart Pro
2 uUFcP5VmjVj1Upgrade naar KadastraleKaart Pro
5 L Upz UaDuOUpgrade naar KadastraleKaart Pro
Lqt0JpS4KrN1NWcw9gWgsUpgrade naar KadastraleKaart Pro
H0tEp xmlHiSYUjimpXnNUpgrade naar KadastraleKaart Pro
T RqZwdFIWxUpgrade naar KadastraleKaart Pro
d9b911xReVwmUuUC2CdUpgrade naar KadastraleKaart Pro
YGaPRZJ8LUpgrade naar KadastraleKaart Pro
17/05/2022

Percelen
Gebruik de zoekbalk of klik op een perceel om informatie over het perceel te bekijken.