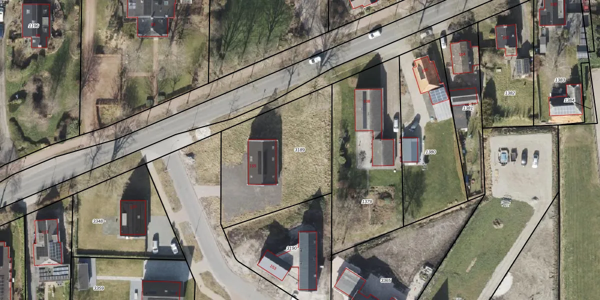
Perceel: STR02-U-3189
1.209 m2 - 147 m
Eigenaar opvragen
STR02-U-3189 (Slochteren)
- 9617 EM
1rOk8NycHQ Ipc lNt8RleBip o Upgrade naar KadastraleKaart Pro
Bekijk op Street View
Download DWG/DXF/Excel
DKnZ 7BC45ci8XE jhUpgrade naar KadastraleKaart Pro
wPvutjfnGxbP4Upgrade naar KadastraleKaart Pro
E WrcJL8Upgrade naar KadastraleKaart Pro
jkJjI9B3Upgrade naar KadastraleKaart Pro
30S hul9Upgrade naar KadastraleKaart Pro
NWxNFMyKUpgrade naar KadastraleKaart Pro
aQXNUFRRY 249bUpgrade naar KadastraleKaart Pro
CWpXyIpkbPYpo YF8aAGUpgrade naar KadastraleKaart Pro
afkbEfX8nEIPbS1NSy4Upgrade naar KadastraleKaart Pro
okV15nAwqGIFlh4ja0SbUpgrade naar KadastraleKaart Pro
01/07/2024

Percelen
Gebruik de zoekbalk of klik op een perceel om informatie over het perceel te bekijken.