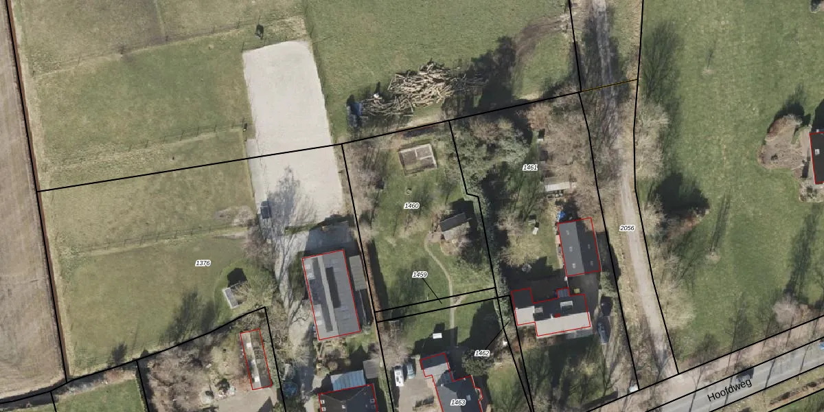
Perceel: STR02-V-1460
Geen adressen bij dit perceel
1.201 m2 - 142 m
Eigenaar opvragen
STR02-V-1460 (Slochteren)
- Geen postcode aanwezig
nx5ydWr Bl8CFsgUIUpgrade naar KadastraleKaart Pro
Bekijk op Street View
Download DWG/DXF/Excel
pEJWu9AQMI2 lF Z4M2Upgrade naar KadastraleKaart Pro
WZgCPu bH0jMX0zUpgrade naar KadastraleKaart Pro
yVaiHJtqTCZfn Rw r1Ri9Upgrade naar KadastraleKaart Pro
UZrpvriLxSPOVcUpgrade naar KadastraleKaart Pro
7lb5NgNsLSSudfUpgrade naar KadastraleKaart Pro
m427OWWDeUgM mwGUpgrade naar KadastraleKaart Pro
8HVST98eQ7 RLN7lM4yaUpgrade naar KadastraleKaart Pro
JSDgcLTq1Upgrade naar KadastraleKaart Pro
88hTaWN937cgej03tJR7B YUpgrade naar KadastraleKaart Pro
eSH TL5AJUpgrade naar KadastraleKaart Pro
04/02/2008

Percelen
Gebruik de zoekbalk of klik op een perceel om informatie over het perceel te bekijken.