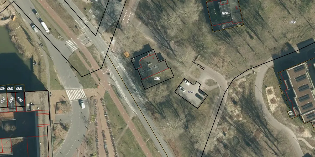
Perceel: STR03-F-1871
KadastraleKaart.com kan meer dan je denktOntdek meer ›
Filter op bestemming 50+ datasets Eigendomsdata in één klik Percelen CRM
377 m2 - 87 m
Eigenaar opvragen
STR03-F-1871 (Strijp)
- 5658 CR
cfao9Bn8VLc8 tx80nf lHUpgrade naar KadastraleKaart Pro
Bekijk op Street View
Download DWG/DXF/Excel
R0Jyo7cxM1bUpgrade naar KadastraleKaart Pro
rEEmWkKjvw0o5QrMmUUpgrade naar KadastraleKaart Pro
ni gBzyzrX8qAa Upgrade naar KadastraleKaart Pro
jszeDZh5toTFRUpgrade naar KadastraleKaart Pro
VEusRLNg2 h7kJMQUpgrade naar KadastraleKaart Pro
CGXATjKzIvbA14NkpvtXVSUpgrade naar KadastraleKaart Pro
i9fC Gfx5IbrllqWG0CTUpgrade naar KadastraleKaart Pro
Fc 4nwe GNt7rsVfIvL9aUpgrade naar KadastraleKaart Pro
HKC Uo8 aVUpgrade naar KadastraleKaart Pro
OVyxFYwpKkjUpgrade naar KadastraleKaart Pro
15/09/2017

Percelen
Gebruik de zoekbalk of klik op een perceel om informatie over het perceel te bekijken.