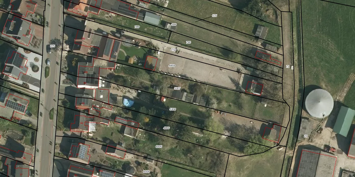
Perceel: SVD00-A-5307
KadastraleKaart.com kan meer dan je denktOntdek meer ›
Filter op bestemming 50+ datasets Eigendomsdata in één klik Percelen CRM
1.620 m2 - 289 m
Eigenaar opvragen
SVD00-A-5307 (Schinveld)
- 6451 AG
K9l0TYCi 7l JGQDx4 lAoKvd Upgrade naar KadastraleKaart Pro
Verkoopprijs opvragen
Bekijk op Street View
Download DWG/DXF/Excel
dQ0FqOx GOqR7Upgrade naar KadastraleKaart Pro
cBlNJr9q1boUpgrade naar KadastraleKaart Pro
KueLx0waBl3NGpvFvBUpgrade naar KadastraleKaart Pro
B lXr 6J8bpRGVUpgrade naar KadastraleKaart Pro
ctE Zp6V7iBUpgrade naar KadastraleKaart Pro
3 vS7hFadNJIwN6Q1Upgrade naar KadastraleKaart Pro
9iX LeV eUpgrade naar KadastraleKaart Pro
KyftaQ3cLN Upgrade naar KadastraleKaart Pro
DTb G4w4UK6oDUpgrade naar KadastraleKaart Pro
oj 8HW2 S je1DUpgrade naar KadastraleKaart Pro
30/08/2010

Percelen
Gebruik de zoekbalk of klik op een perceel om informatie over het perceel te bekijken.