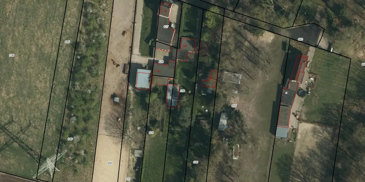
Perceel: SVD00-D-638
KadastraleKaart.com kan meer dan je denktOntdek meer ›
Filter op bestemming 50+ datasets Eigendomsdata in één klik Percelen CRM
1.330 m2 - 251 m
Eigenaar opvragen
SVD00-D-638 (Schinveld)
- 6451 PM
fPlYY Zt3rI8RKhhLUpgrade naar KadastraleKaart Pro
Bekijk op Street View
Download DWG/DXF/Excel
vNJPzrpeUVXqFntpUqzxOUpgrade naar KadastraleKaart Pro
TH Jv16IzZ9x EGfbgUpgrade naar KadastraleKaart Pro
FAq6DMIgJQVL8VOUpgrade naar KadastraleKaart Pro
B bdcC NAOFzBsdUpgrade naar KadastraleKaart Pro
cadAYPkpqVFXJFWb U5Upgrade naar KadastraleKaart Pro
2 T 0bSLrK9 2Y 1Upgrade naar KadastraleKaart Pro
Zkkk77qJC9v1Upgrade naar KadastraleKaart Pro
w k3g2Bs9UFYpI2 QUpgrade naar KadastraleKaart Pro
x 4m As8QdTsbGX8oD6DBUUpgrade naar KadastraleKaart Pro
ejKRTgJ TH1Upgrade naar KadastraleKaart Pro
18/11/2013

Percelen
Gebruik de zoekbalk of klik op een perceel om informatie over het perceel te bekijken.