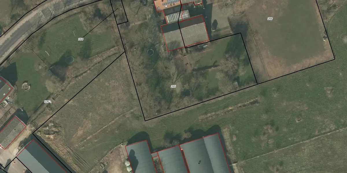
Perceel: SVN01-R-265
KadastraleKaart.com kan meer dan je denktOntdek meer ›
Filter op bestemming 50+ datasets Eigendomsdata in één klik Percelen CRM
3.551 m2 - 286 m
Eigenaar opvragen
SVN01-R-265 (Sevenum)
- 5975 CD
PJjlRWXmxwinyQeVmxuBw5Upgrade naar KadastraleKaart Pro
Verkoopprijs opvragen
Bekijk op Street View
Download DWG/DXF/Excel
S6 ceC R xSV1oUpgrade naar KadastraleKaart Pro
a nUsfNBM PVoGN Upgrade naar KadastraleKaart Pro
hYct6dcM 6zAUpgrade naar KadastraleKaart Pro
9 w8TTa0yEaIO64P T DUpgrade naar KadastraleKaart Pro
UIZ 5w9LHpRwUpgrade naar KadastraleKaart Pro
YmkoMfWQ79T5enVtUpgrade naar KadastraleKaart Pro
Cnm 1ST hxT2HTUpgrade naar KadastraleKaart Pro
OHzJ0WGnDfxpsP AUpgrade naar KadastraleKaart Pro
aO1s XQFr ZjPiAeUpgrade naar KadastraleKaart Pro
e chy5 rViq89Upgrade naar KadastraleKaart Pro
31/10/2017

Percelen
Gebruik de zoekbalk of klik op een perceel om informatie over het perceel te bekijken.