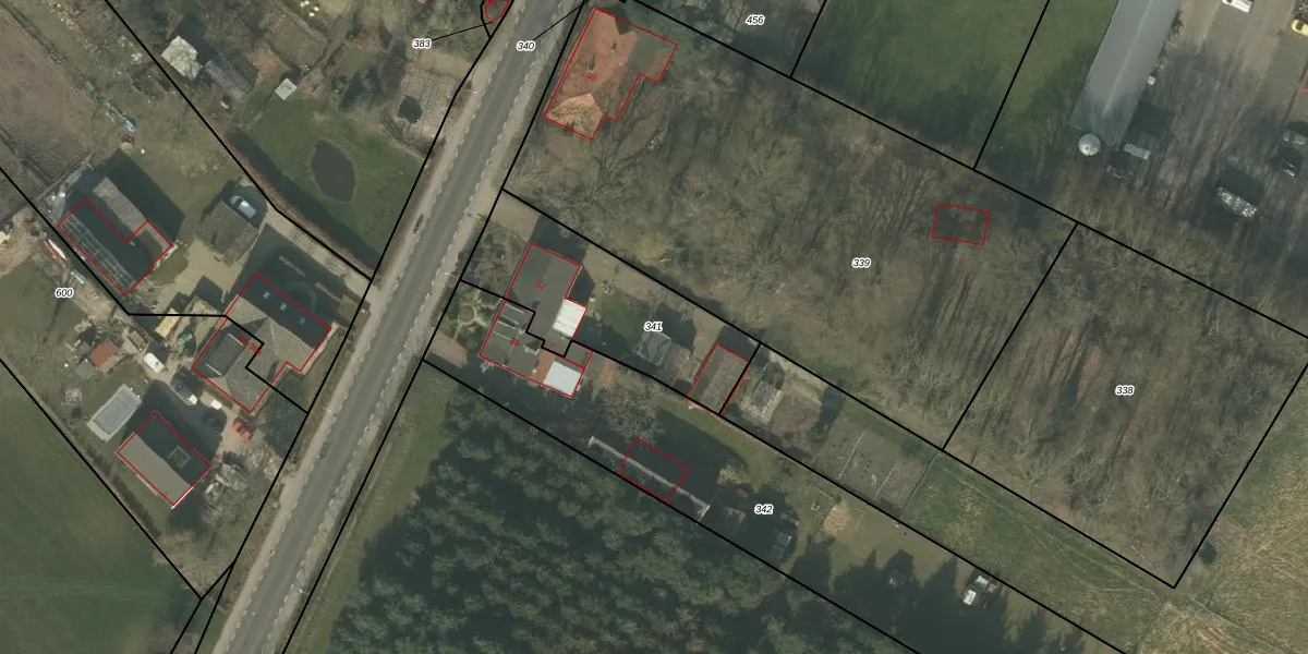
Perceel: SVN01-R-341
KadastraleKaart.com kan meer dan je denktOntdek meer ›
Filter op bestemming 50+ datasets Eigendomsdata in één klik Percelen CRM
646 m2 - 126 m
Eigenaar opvragen
SVN01-R-341 (Sevenum)
- 5975 CD
q c14WI1kIwWq65 olBQUpgrade naar KadastraleKaart Pro
Bekijk op Street View
Download DWG/DXF/Excel
so 2Etm8tUpgrade naar KadastraleKaart Pro
Flr6L7Zgwh uoppBKhKUpgrade naar KadastraleKaart Pro
cTWLzfC5iSIqheHUISCgZiUpgrade naar KadastraleKaart Pro
7 h2c9vLUpgrade naar KadastraleKaart Pro
I 5OqyMRQjt2iGFX3Upgrade naar KadastraleKaart Pro
hbAqFF FrDrBnLeJUpgrade naar KadastraleKaart Pro
mpQWo16DUpgrade naar KadastraleKaart Pro
Uj6sadRKaUpgrade naar KadastraleKaart Pro
CdM3DCKsrFj8B9 SsSWJugUpgrade naar KadastraleKaart Pro
TJIiqKhZesWYEKZmKG 5i0rUpgrade naar KadastraleKaart Pro
03/04/2006

Percelen
Gebruik de zoekbalk of klik op een perceel om informatie over het perceel te bekijken.