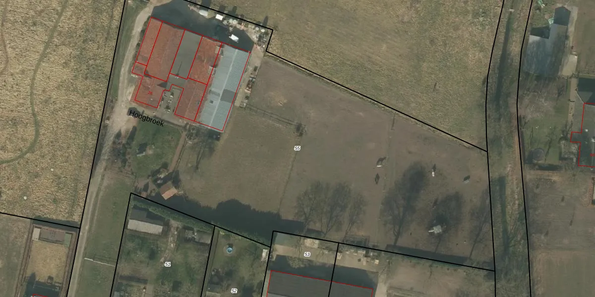
Perceel: SVN01-R-55
KadastraleKaart.com kan meer dan je denktOntdek meer ›
Filter op bestemming 50+ datasets Eigendomsdata in één klik Percelen CRM
8.532 m2 - 526 m
Eigenaar opvragen
SVN01-R-55 (Sevenum)
- 5975 NH
qsn0BMOaQ mLR LFzleV Dw59YvTUpgrade naar KadastraleKaart Pro
Bekijk op Street View
Download DWG/DXF/Excel
58eE7uKL5oUee 1GUpgrade naar KadastraleKaart Pro
8UKxJtaIUpgrade naar KadastraleKaart Pro
Ue BFwKxrnZAk83Upgrade naar KadastraleKaart Pro
B4dLbVd2Upgrade naar KadastraleKaart Pro
OjvMgqHTcYnSAv2 mRUpgrade naar KadastraleKaart Pro
dfWSCchGMWXfoDBWs Upgrade naar KadastraleKaart Pro
Xx SL7kbSUzk QsUPnUpgrade naar KadastraleKaart Pro
qYE vp 8LLE joqvUpgrade naar KadastraleKaart Pro
i7BeWf 6hF OdUpgrade naar KadastraleKaart Pro
wThRTk155ypitO52OCps4Upgrade naar KadastraleKaart Pro
27/06/2006

Percelen
Gebruik de zoekbalk of klik op een perceel om informatie over het perceel te bekijken.