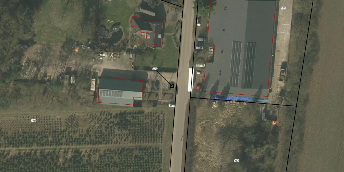
Perceel: SVN01-U-378
KadastraleKaart.com kan meer dan je denktOntdek meer ›
Filter op bestemming 50+ datasets Eigendomsdata in één klik Percelen CRM
Geen adressen bij dit perceel
4 m2 - 8 m
Eigenaar opvragen
SVN01-U-378 (Sevenum)
- Geen postcode aanwezig
NmeWb3j5s1biBTHQ kYUpgrade naar KadastraleKaart Pro
Bekijk op Street View
Download DWG/DXF/Excel
rkh N4hkUpgrade naar KadastraleKaart Pro
g9fWHG1GUpgrade naar KadastraleKaart Pro
zEIY eBbQLzK3f 1XUpgrade naar KadastraleKaart Pro
J6JI37jLUpgrade naar KadastraleKaart Pro
q usqigRMgeZZFa ynUpgrade naar KadastraleKaart Pro
ybTlrPKIFAP6Vy42Upgrade naar KadastraleKaart Pro
YnRG 7TdxcHeT8Fh1LvvUpgrade naar KadastraleKaart Pro
73KCiYFEQNRMW7yQfnUpgrade naar KadastraleKaart Pro
H9ScfQ6 Upgrade naar KadastraleKaart Pro
VkRFy v HUpgrade naar KadastraleKaart Pro
29/03/2006

Percelen
Gebruik de zoekbalk of klik op een perceel om informatie over het perceel te bekijken.