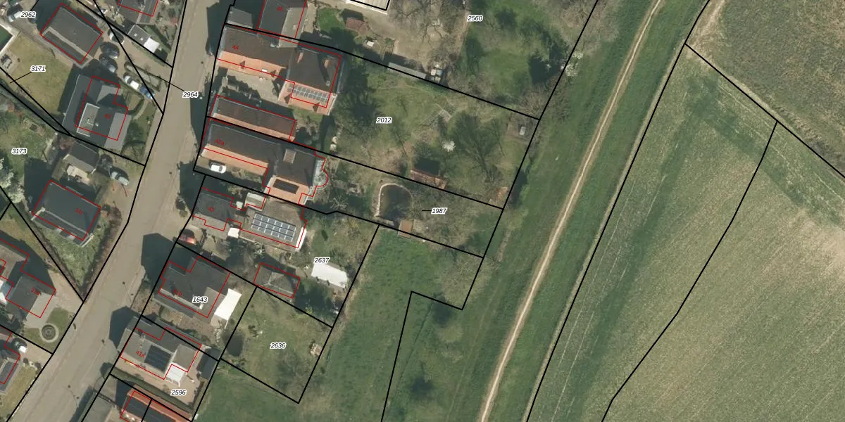
Perceel: SVW00-A-1987
KadastraleKaart.com kan meer dan je denktOntdek meer ›
Filter op bestemming 50+ datasets Eigendomsdata in één klik Percelen CRM
893 m2 - 172 m
Eigenaar opvragen
SVW00-A-1987 (Stevensweert)
- 6107 CC
b6jQn5bxVYJ13dQTAJUpgrade naar KadastraleKaart Pro
Bekijk op Street View
Download DWG/DXF/Excel
lyxXL0oRZVNpPQrfs34 Upgrade naar KadastraleKaart Pro
wYerZxSQDUpgrade naar KadastraleKaart Pro
M 8KFMQnkaFL0ZUpgrade naar KadastraleKaart Pro
iNEujTpnpJoUutF ueQjUpgrade naar KadastraleKaart Pro
0H6ee5 PhT Is NcIUpgrade naar KadastraleKaart Pro
23w 6qeC35 rGo Upgrade naar KadastraleKaart Pro
vpT0 6q V7nZD3Wk4WFNUpgrade naar KadastraleKaart Pro
YHPEnxuHM2O Upgrade naar KadastraleKaart Pro
Hh3 r qyMhfO28yQYpdYUpgrade naar KadastraleKaart Pro
JCQpK3RWEJalWu92awUtaScUpgrade naar KadastraleKaart Pro
08/09/2009

Percelen
Gebruik de zoekbalk of klik op een perceel om informatie over het perceel te bekijken.