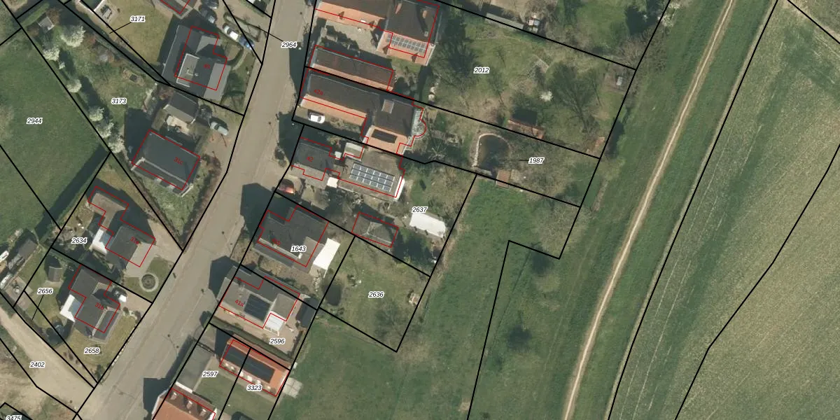
Perceel: SVW00-A-2637
KadastraleKaart.com kan meer dan je denktOntdek meer ›
Filter op bestemming 50+ datasets Eigendomsdata in één klik Percelen CRM
837 m2 - 130 m
Eigenaar opvragen
SVW00-A-2637 (Stevensweert)
- 6107 CC
P IMlXul Vv bxWU7JUpgrade naar KadastraleKaart Pro
Verkoopprijs opvragen
Bekijk op Street View
Download DWG/DXF/Excel
aW2mcCfAAN ytCpBp0xv9XNUpgrade naar KadastraleKaart Pro
Dejpk dE1tqOUpgrade naar KadastraleKaart Pro
Ocnk RtVWWNE Upgrade naar KadastraleKaart Pro
rK2TiW7K xx4n0tDKMwNHUpgrade naar KadastraleKaart Pro
y2UinmIpdVnVrUpgrade naar KadastraleKaart Pro
hNCGFjidtK3Upgrade naar KadastraleKaart Pro
j6 wuCJZUpgrade naar KadastraleKaart Pro
LfHUsmI0QkmL89 flHaChqUpgrade naar KadastraleKaart Pro
6PmIpatLUpgrade naar KadastraleKaart Pro
iMl0PSyG2D5 Qcdu rEMyUpgrade naar KadastraleKaart Pro
08/09/2009

Percelen
Gebruik de zoekbalk of klik op een perceel om informatie over het perceel te bekijken.