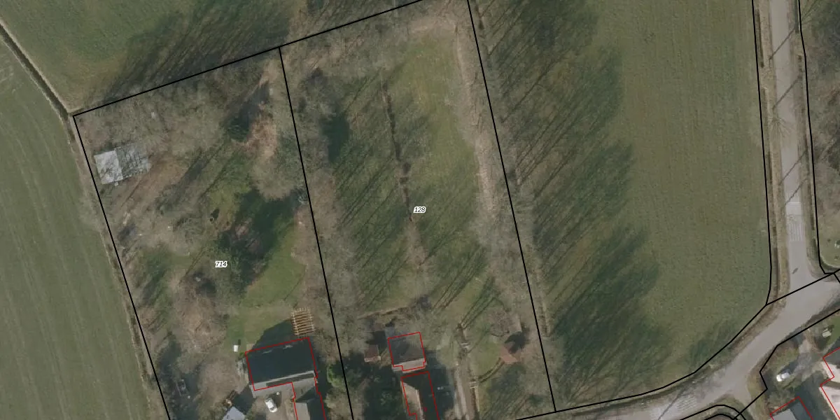
Perceel: SWK01-G-128
KadastraleKaart.com kan meer dan je denktOntdek meer ›
Filter op bestemming 50+ datasets Eigendomsdata in één klik Percelen CRM
4.910 m2 - 300 m
Eigenaar opvragen
SWK01-G-128 (Steenwijk)
- 8336 KJ
IHpO1iLQqWp k hrYjLQEX RffzUpgrade naar KadastraleKaart Pro
Bekijk op Street View
Download DWG/DXF/Excel
Y1PmYQQT68Rac68a9wpS6Upgrade naar KadastraleKaart Pro
wwg TSkiFMFxJojuVQQUpgrade naar KadastraleKaart Pro
6fIpNvhQ8RwuXpr Upgrade naar KadastraleKaart Pro
oFVT w EaNUpgrade naar KadastraleKaart Pro
eZZ wFzCJ6I5 kUpgrade naar KadastraleKaart Pro
3Geua 9R IUpgrade naar KadastraleKaart Pro
7PN0fbV81Upgrade naar KadastraleKaart Pro
UMK0r6DRwx07PNTkUpgrade naar KadastraleKaart Pro
6T2wepJvkUpgrade naar KadastraleKaart Pro
lPDMofXerrVk EUpgrade naar KadastraleKaart Pro
13/09/2005

Percelen
Gebruik de zoekbalk of klik op een perceel om informatie over het perceel te bekijken.