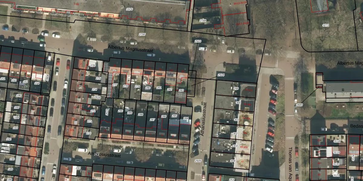
Perceel: TBG01-AC-283
KadastraleKaart.com kan meer dan je denktOntdek meer ›
Filter op bestemming 50+ datasets Eigendomsdata in één klik Percelen CRM
141 m2 - 57 m
Eigenaar opvragen
TBG01-AC-283 (Tilburg)
- 5042 ES
k3 CelpUa MSHhEqcrUpgrade naar KadastraleKaart Pro
Verkoopprijs opvragen
Bekijk op Street View
Download DWG/DXF/Excel
tRHK07ksDkp1XUpgrade naar KadastraleKaart Pro
hf1 K8HHHv4dL7Upgrade naar KadastraleKaart Pro
LQEGXrH5CBdusXm3ZCv VUpgrade naar KadastraleKaart Pro
MtGa8FnzUpgrade naar KadastraleKaart Pro
SdoQucwS3Scr2a LwpiaC OUpgrade naar KadastraleKaart Pro
dEbiYLrGue2 mF1 Upgrade naar KadastraleKaart Pro
bLXKgBl8hrXfjCGlIUpgrade naar KadastraleKaart Pro
m YCdku1Upgrade naar KadastraleKaart Pro
f6cxFlsEb3Upgrade naar KadastraleKaart Pro
38Lwm28FxBp3TdyeXHvhsrPUpgrade naar KadastraleKaart Pro
27/02/2006

Percelen
Gebruik de zoekbalk of klik op een perceel om informatie over het perceel te bekijken.