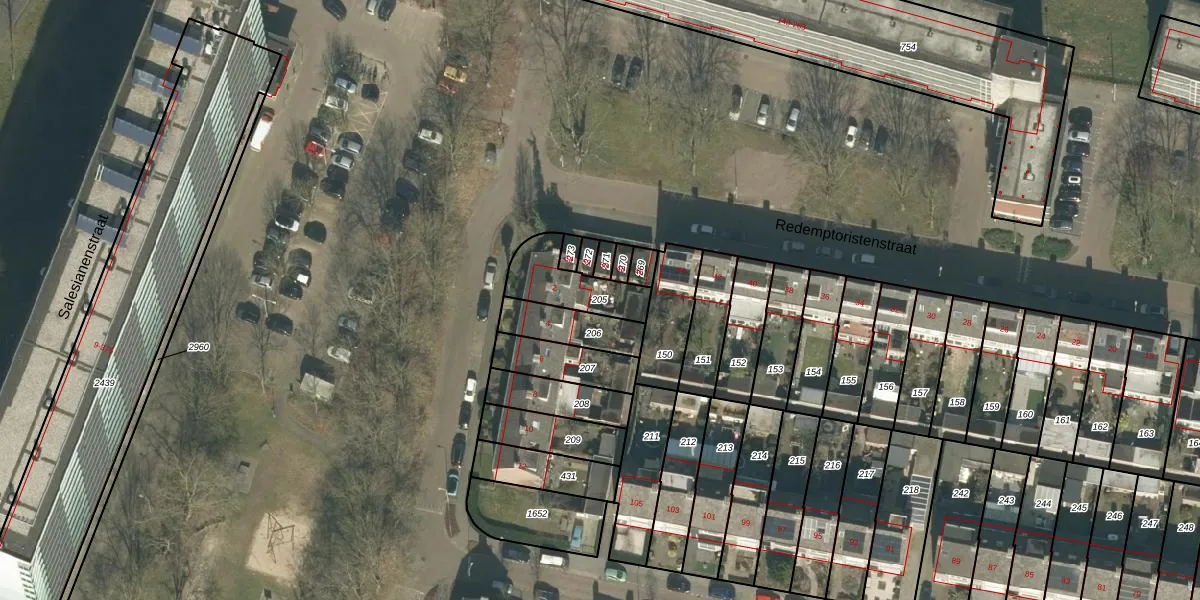
Perceel: TBG01-AD-205
KadastraleKaart.com kan meer dan je denktOntdek meer ›
Filter op bestemming 50+ datasets Eigendomsdata in één klik Percelen CRM
180 m2 - 69 m
Eigenaar opvragen
TBG01-AD-205 (Tilburg)
- 5042 DV
qUMMB6p k446Nn9CDILu7xK7Upgrade naar KadastraleKaart Pro
Bekijk op Street View
Download DWG/DXF/Excel
o8vktzi Id 6BWUpgrade naar KadastraleKaart Pro
QbwL67 1K NvTUpgrade naar KadastraleKaart Pro
4dCLOlJthpJz8Cvb7n2zZOUpgrade naar KadastraleKaart Pro
cmgC80HdtNAzQXceWXTKZ1Upgrade naar KadastraleKaart Pro
lMEp5PczbLOY2 Iw2Upgrade naar KadastraleKaart Pro
v hxScNgGz2uUpgrade naar KadastraleKaart Pro
lF 1c9tgA2On1X3A2q10Upgrade naar KadastraleKaart Pro
NfPR fYXNZF 87bToeUpgrade naar KadastraleKaart Pro
bq3LzOJV JBP49n Upgrade naar KadastraleKaart Pro
1URqLMHC5iUpgrade naar KadastraleKaart Pro
25/02/2003

Percelen
Gebruik de zoekbalk of klik op een perceel om informatie over het perceel te bekijken.