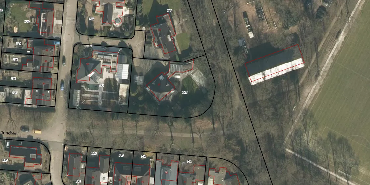
Perceel: TBG01-U-742
KadastraleKaart.com kan meer dan je denktOntdek meer ›
Filter op bestemming 50+ datasets Eigendomsdata in één klik Percelen CRM
1.350 m2 - 147 m
Eigenaar opvragen
TBG01-U-742 (Tilburg)
- 5012 AT
LrdOdPLRbpMrStoNbK 8iwUpgrade naar KadastraleKaart Pro
Bekijk op Street View
Download DWG/DXF/Excel
P xFXr2L5u9vKKUpgrade naar KadastraleKaart Pro
ZztsHh3DUkUpgrade naar KadastraleKaart Pro
W Qmg253liTW 6s Rs6u1uUpgrade naar KadastraleKaart Pro
PtNOyQF LUpgrade naar KadastraleKaart Pro
yIaT0V 7xtmLdQSVtC3j2Upgrade naar KadastraleKaart Pro
o2rkbGfUpS MPnz3JyHWywUpgrade naar KadastraleKaart Pro
PDHIKSz6 wUpgrade naar KadastraleKaart Pro
C znMXBNiTHNc5E8f0aWTUpgrade naar KadastraleKaart Pro
vsztFghXhEfmbSsrmAuS0CUpgrade naar KadastraleKaart Pro
1Hn 1ZUMl0OHfPo Upgrade naar KadastraleKaart Pro
10/02/2011

Percelen
Gebruik de zoekbalk of klik op een perceel om informatie over het perceel te bekijken.