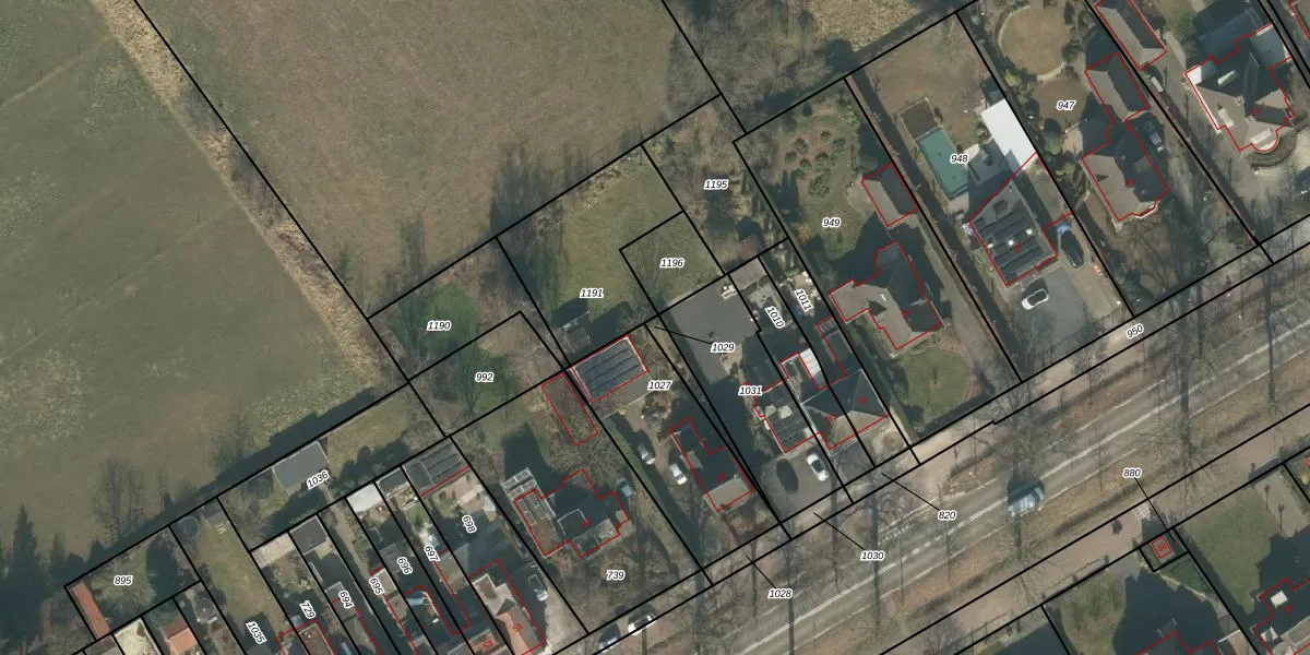
Perceel: TBG01-V-1029
KadastraleKaart.com kan meer dan je denktOntdek meer ›
Filter op bestemming 50+ datasets Eigendomsdata in één klik Percelen CRM
Geen adressen bij dit perceel
48 m2 - 76 m
Eigenaar opvragen
TBG01-V-1029 (Tilburg)
- Geen postcode aanwezig
Fwk U4AuFtjjUONwqqIs dvG pkl Upgrade naar KadastraleKaart Pro
Bekijk op Street View
Download DWG/DXF/Excel
UpxBiNMD 8Tpn IUpgrade naar KadastraleKaart Pro
a zxfVQn4otKa qBXNUpgrade naar KadastraleKaart Pro
m9dlt0dLAv3 juZiUpgrade naar KadastraleKaart Pro
XnxGd p7Eyv0rUpgrade naar KadastraleKaart Pro
b DDyef7H Upgrade naar KadastraleKaart Pro
LffX2 S AiVM GCUpgrade naar KadastraleKaart Pro
aU3M3JCLUpgrade naar KadastraleKaart Pro
DWYwj8GQ3WFvwIC LVhHUpgrade naar KadastraleKaart Pro
54Ju52PuUpgrade naar KadastraleKaart Pro
Ls ybx4uXXMUpgrade naar KadastraleKaart Pro
09/05/2014

Percelen
Gebruik de zoekbalk of klik op een perceel om informatie over het perceel te bekijken.