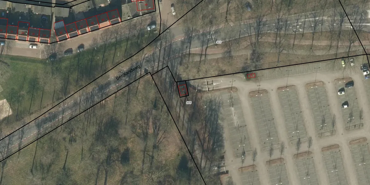
Perceel: TBG01-W-884
KadastraleKaart.com kan meer dan je denktOntdek meer ›
Filter op bestemming 50+ datasets Eigendomsdata in één klik Percelen CRM
40 m2 - 26 m
Eigenaar opvragen
TBG01-W-884 (Tilburg)
- Geen postcode aanwezig
0Y6e0F4fR Y7F5bIUpgrade naar KadastraleKaart Pro
Bekijk op Street View
Download DWG/DXF/Excel
5qXZa3KKUpgrade naar KadastraleKaart Pro
Q h Skbxc axcIsmmYOUpgrade naar KadastraleKaart Pro
j sIKYteh7DHNWz4uzUpgrade naar KadastraleKaart Pro
khNgnUyj 1dr8LyxVZ0l Upgrade naar KadastraleKaart Pro
1CABFEHatASK Nmg62pGbRUpgrade naar KadastraleKaart Pro
2lw7u2bcim 2M8Ar7gKrpVUpgrade naar KadastraleKaart Pro
dNFm iQcGe4xgkvUpgrade naar KadastraleKaart Pro
MoD8A uy4NKX4mS a5sUpgrade naar KadastraleKaart Pro
9M0R2 vRlmUpgrade naar KadastraleKaart Pro
z oVJzu1raUpgrade naar KadastraleKaart Pro
31/07/2012

Percelen
Gebruik de zoekbalk of klik op een perceel om informatie over het perceel te bekijken.