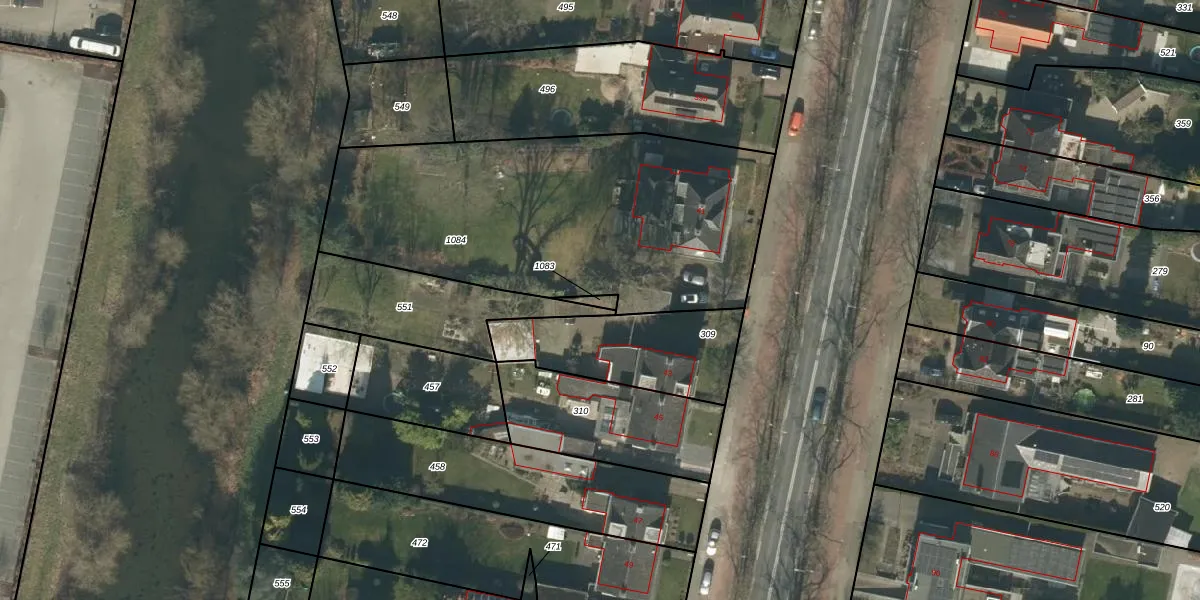
Perceel: TBG01-Z-1083
KadastraleKaart.com kan meer dan je denktOntdek meer ›
Filter op bestemming 50+ datasets Eigendomsdata in één klik Percelen CRM
Geen adressen bij dit perceel
15 m2 - 25 m
Eigenaar opvragen
TBG01-Z-1083 (Tilburg)
- Geen postcode aanwezig
20r4lUcrBPU VMEYMU q mA5s7X7fUpgrade naar KadastraleKaart Pro
Bekijk op Street View
Download DWG/DXF/Excel
aT ULO57JwonOmONgB zs8 Upgrade naar KadastraleKaart Pro
agbTRCO5Upgrade naar KadastraleKaart Pro
tinGvwaw4Upgrade naar KadastraleKaart Pro
JysyCIP8 Oxsl qlFCEJUpgrade naar KadastraleKaart Pro
o 4fadxkov0AEKm 99JUpgrade naar KadastraleKaart Pro
e9SsF0eef9NGBPcR4Upgrade naar KadastraleKaart Pro
zwIiOVOCUpgrade naar KadastraleKaart Pro
lrVS3qKgxeUpgrade naar KadastraleKaart Pro
jdIngmbC JsjIUpgrade naar KadastraleKaart Pro
AjRJ0BgmGVVxMA9SlzUpgrade naar KadastraleKaart Pro
13/02/2006

Percelen
Gebruik de zoekbalk of klik op een perceel om informatie over het perceel te bekijken.